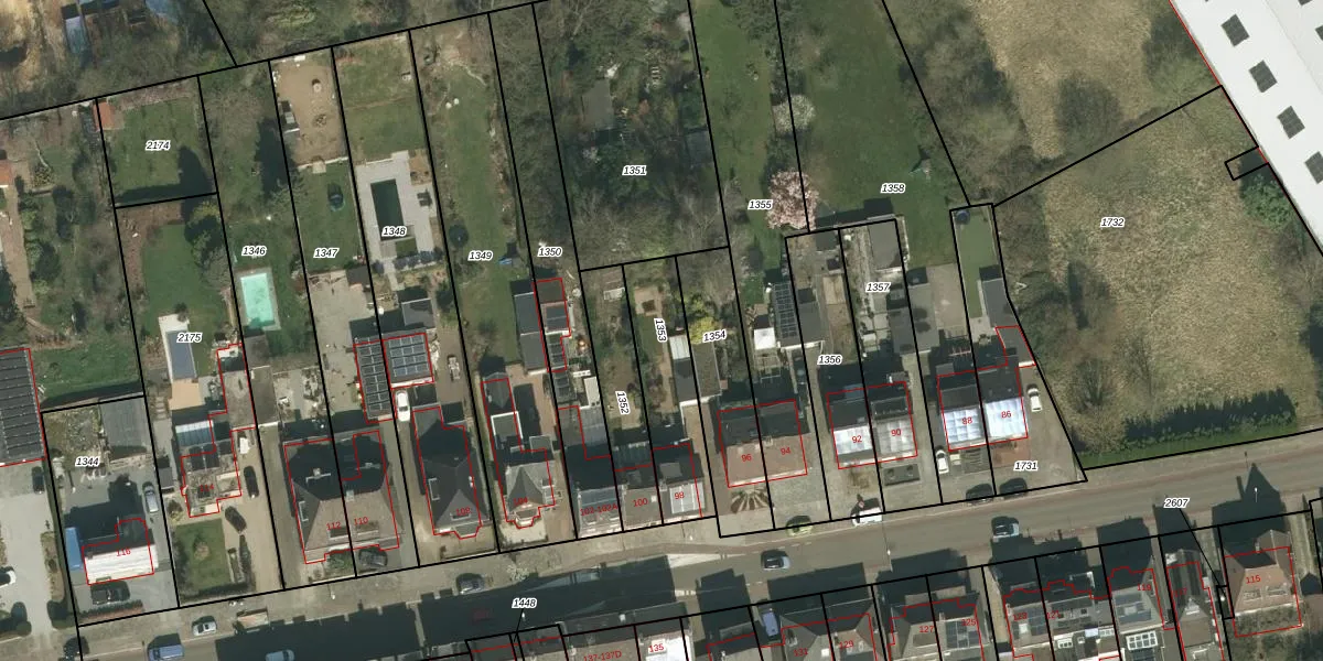
Perceel: KRD00-K-1353
KadastraleKaart.com kan meer dan je denktOntdek meer ›
Filter op bestemming 50+ datasets Eigendomsdata in één klik Percelen CRM
332 m2 - 96 m
Eigenaar opvragen
KRD00-K-1353 (Kerkrade)
- 6466 GP
ubatIszhX Ppj l2cq63LqqYjm 5T49Upgrade naar KadastraleKaart Pro
Bekijk op Street View
Download DWG/DXF/Excel
nTQS sYIx3OCdvb Bo2q12Upgrade naar KadastraleKaart Pro
sII6KMeSF6h5dbOWdwXvYUpgrade naar KadastraleKaart Pro
Spw5MtELqUpgrade naar KadastraleKaart Pro
UxB0wikqfgqsWBQ2yUpgrade naar KadastraleKaart Pro
IpPY WRm3plGRUpgrade naar KadastraleKaart Pro
X5Z yhV6Upgrade naar KadastraleKaart Pro
IDwMh9pqA7MLWyIUpgrade naar KadastraleKaart Pro
ALxzaLcfL bjeUpgrade naar KadastraleKaart Pro
VLho IA5 JJlx becUpgrade naar KadastraleKaart Pro
lZPsRB6O VIbf Pc8Upgrade naar KadastraleKaart Pro
20/11/2019

Percelen
Gebruik de zoekbalk of klik op een perceel om informatie over het perceel te bekijken.