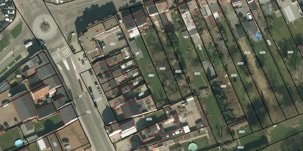
Perceel: KRD00-K-1728

Adres bij perceel

Perceeloppervlakte & perceelomtrek

695 m2 - 161 m

Eigenaar van het perceel

Eigenaar opvragen

Kadastrale aanduiding

KRD00-K-1728 (Kerkrade)

Postcode in perceel

    6466 GL

Type eigenaar

wjAhZm 2kd JA5rU3 J5rm0AFFI6sUpgrade naar KadastraleKaart Pro

Woning verkocht in 2008

Verkoopprijs opvragen

Google Street View

Bekijk op Street View

Download

Download DWG/DXF/Excel

Gerelateerde percelen

j NAlMfg yE HV nUpgrade naar KadastraleKaart Pro

Bebouwd/onbebouwd/water/groen

106My8B0NCyzhed3aqpBUpgrade naar KadastraleKaart Pro
Administratieve eenheden
xIaIikrDWcgdtnIvJqbdIUpgrade naar KadastraleKaart Pro

Appartementsrechten

rD6wuQq9uNUiBwszxYprUAUpgrade naar KadastraleKaart Pro

Vergunningverlenende instanties

Rd3cM9XjZxYrZpUpgrade naar KadastraleKaart Pro

Bedekking (BGT)

Os fnl 9kCdpgnlLBG51tUpgrade naar KadastraleKaart Pro

Publiekrechtelijke beperkingen

Ng3flVgYJ dUpgrade naar KadastraleKaart Pro

Grensnauwkeurigheid

yT5GGLEkccImiqK2QrDdob Upgrade naar KadastraleKaart Pro

Coördinaten hoekpunten perceel

Se0BygZyIqUpgrade naar KadastraleKaart Pro

Hoogteligging

oiLo0h fE055jFUpgrade naar KadastraleKaart Pro

Laatst gewijzigd

25/10/2011

Kadastrale kaart met maatvoering 59,95
Kadastrale kaart pakket 28,95

Percelen

Gebruik de zoekbalk of klik op een perceel om informatie over het perceel te bekijken.
Locatie
Meten
Lagen
Download