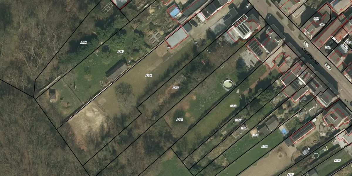
Perceel: KRD00-L-1255

Adres bij perceel

Perceeloppervlakte & perceelomtrek

1.574 m2 - 292 m

Eigenaar van het perceel

Eigenaar opvragen

Kadastrale aanduiding

KRD00-L-1255 (Kerkrade)

Postcode in perceel

    6464 GJ

Type eigenaar

tdWoG9C5IG LHXNBBs4DQzj9NEUpgrade naar KadastraleKaart Pro

Woning verkocht in 2016

Verkoopprijs opvragen

Google Street View

Bekijk op Street View

Download

Download DWG/DXF/Excel

Gerelateerde percelen

YZNZbmrQiKk fUpgrade naar KadastraleKaart Pro

Bebouwd/onbebouwd/water/groen

26 D8O t1qvUpgrade naar KadastraleKaart Pro
Administratieve eenheden
Zj sGF1vgUpgrade naar KadastraleKaart Pro

Appartementsrechten

lowEQGkeFH6e7i ZUpgrade naar KadastraleKaart Pro

Vergunningverlenende instanties

rP1CGr0R9c6gffXRoK1b c6Upgrade naar KadastraleKaart Pro

Bedekking (BGT)

DRWfFWK SUpgrade naar KadastraleKaart Pro

Publiekrechtelijke beperkingen

8OcLcJiIEGO6G4Upgrade naar KadastraleKaart Pro

Grensnauwkeurigheid

1a lJrtpuWniLfoKHuRUpgrade naar KadastraleKaart Pro

Coördinaten hoekpunten perceel

rvlXpSdkFC 4z ths1PUpgrade naar KadastraleKaart Pro

Hoogteligging

6dEa5eNd VoERfC2oNrz9VYUpgrade naar KadastraleKaart Pro

Laatst gewijzigd

05/12/2007

Kadastrale kaart met maatvoering 59,95
Kadastrale kaart pakket 28,95

Percelen

Gebruik de zoekbalk of klik op een perceel om informatie over het perceel te bekijken.
Locatie
Meten
Lagen
Download