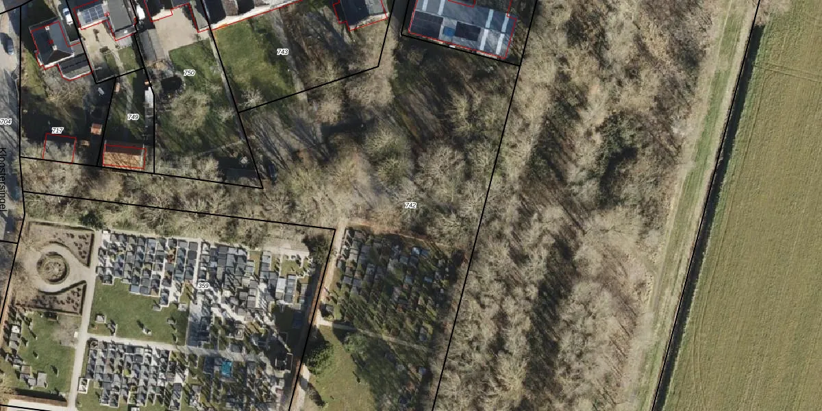
Perceel: KTB00-E-742
KadastraleKaart.com kan meer dan je denktOntdek meer ›
Filter op bestemming 50+ datasets Eigendomsdata in één klik Percelen CRM
Geen adressen bij dit perceel
5.135 m2 - 606 m
Eigenaar opvragen
KTB00-E-742 (Kloosterburen)
- Geen postcode aanwezig
ah NTPO8 Xyz gYbIIUpgrade naar KadastraleKaart Pro
Bekijk op Street View
Download DWG/DXF/Excel
j9MMbNZ 0z WymQ Ug3MxU5Upgrade naar KadastraleKaart Pro
idu faD84zsMwIB1HRT Upgrade naar KadastraleKaart Pro
u4E2QpNdlqwj7AHuovoxR Upgrade naar KadastraleKaart Pro
B8x P2fBvFIL7ih6PUpgrade naar KadastraleKaart Pro
oTRuFs 8Jo3umj4DOMUpgrade naar KadastraleKaart Pro
ABw99zZyMvQV1e01Q 3Upgrade naar KadastraleKaart Pro
lMHH4slv D Bk5Upgrade naar KadastraleKaart Pro
7yGJ0Cv7hHrUpgrade naar KadastraleKaart Pro
zSfGKLg9eDkDUpgrade naar KadastraleKaart Pro
DJPEKK593UUpgrade naar KadastraleKaart Pro
19/12/2013

Percelen
Gebruik de zoekbalk of klik op een perceel om informatie over het perceel te bekijken.