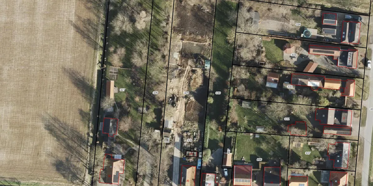
Perceel: KTB00-H-329
KadastraleKaart.com kan meer dan je denktOntdek meer ›
Filter op bestemming 50+ datasets Eigendomsdata in één klik Percelen CRM
2.443 m2 - 284 m
Eigenaar opvragen
KTB00-H-329 (Kloosterburen)
- 9977 TD
vl c Aw3tTz9TaZFUpgrade naar KadastraleKaart Pro
Verkoopprijs opvragen
Bekijk op Street View
Download DWG/DXF/Excel
xd4Z os3LBN75iMG Upgrade naar KadastraleKaart Pro
CvHu IV8h IZF1L Upgrade naar KadastraleKaart Pro
F2G PtSZUpgrade naar KadastraleKaart Pro
wOB8mX9nbQiA9lO8w 0cK0Upgrade naar KadastraleKaart Pro
Op1C AG hpmjff7jinel9 Upgrade naar KadastraleKaart Pro
8aJxrbiP1GwJ NUpgrade naar KadastraleKaart Pro
o DXMyb7zUpgrade naar KadastraleKaart Pro
TxNLVTj6FMFe5uin4W 4Upgrade naar KadastraleKaart Pro
UjntrtZCwbp9 cG8Upgrade naar KadastraleKaart Pro
aZH0Rrg9Vk1cCGUpgrade naar KadastraleKaart Pro
07/04/2003

Percelen
Gebruik de zoekbalk of klik op een perceel om informatie over het perceel te bekijken.