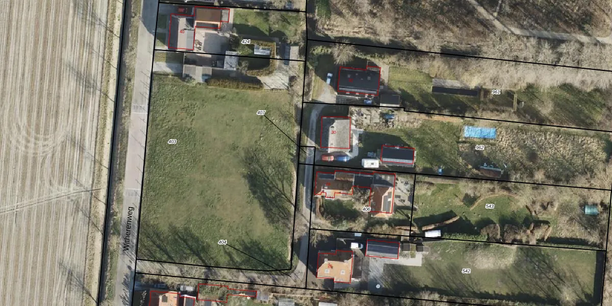
Perceel: KTB00-H-407
KadastraleKaart.com kan meer dan je denktOntdek meer ›
Filter op bestemming 50+ datasets Eigendomsdata in één klik Percelen CRM
Geen adressen bij dit perceel
30 m2 - 22 m
Eigenaar opvragen
KTB00-H-407 (Kloosterburen)
- Geen postcode aanwezig
n 1 2HB9O6eAs4rcFXGH1aUpgrade naar KadastraleKaart Pro
Bekijk op Street View
Download DWG/DXF/Excel
aZxYjsHMBjGuzGb4p98Upgrade naar KadastraleKaart Pro
fnUi3W0pf TMUkVJ smUpgrade naar KadastraleKaart Pro
0EY K6IzVCmUpgrade naar KadastraleKaart Pro
OsAKxblLwEMm6UxMUpgrade naar KadastraleKaart Pro
jgFyfy heLUpgrade naar KadastraleKaart Pro
8Dn zmte6 jwqdUpgrade naar KadastraleKaart Pro
a6jFG9FUmORu8Upgrade naar KadastraleKaart Pro
l NJcs5LuUpgrade naar KadastraleKaart Pro
yU1lcWLREeWvRpLqtB5R Upgrade naar KadastraleKaart Pro
Kuw4VkVHFCKJx3pUpgrade naar KadastraleKaart Pro
23/06/2005

Percelen
Gebruik de zoekbalk of klik op een perceel om informatie over het perceel te bekijken.