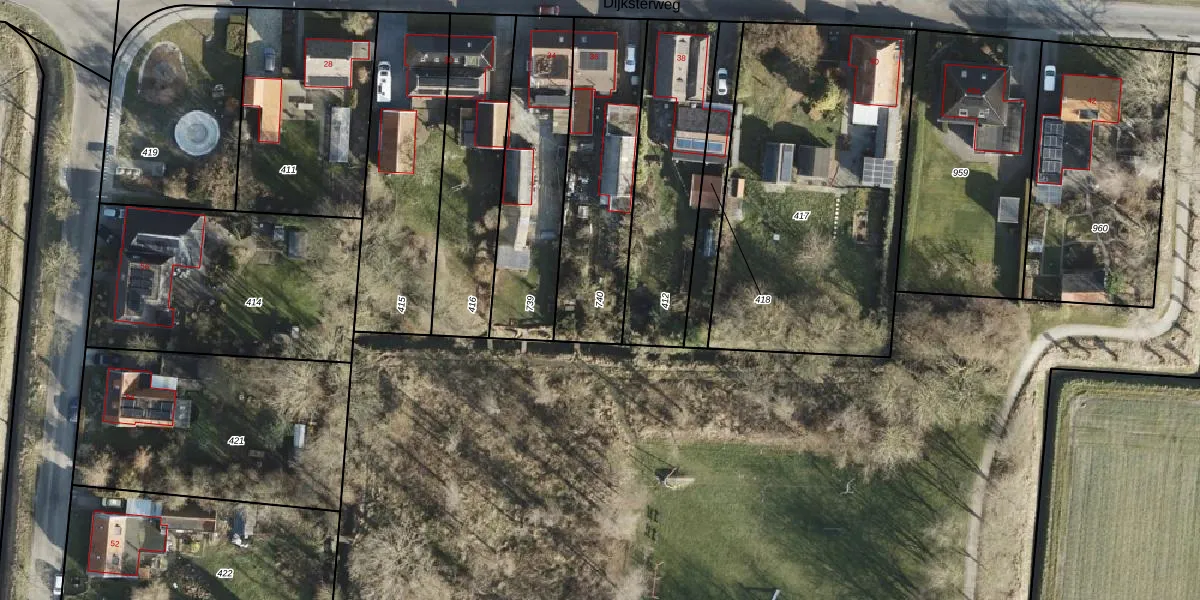
Perceel: KTB00-H-740
KadastraleKaart.com kan meer dan je denktOntdek meer ›
Filter op bestemming 50+ datasets Eigendomsdata in één klik Percelen CRM
636 m2 - 132 m
Eigenaar opvragen
KTB00-H-740 (Kloosterburen)
- 9977 TE
v4g 6ZZH zvDgP8G3sMV2 JO0Upgrade naar KadastraleKaart Pro
Bekijk op Street View
Download DWG/DXF/Excel
kFBip4oORavcXwqdiVRXRK6Upgrade naar KadastraleKaart Pro
i b ok9p0tUpgrade naar KadastraleKaart Pro
2Hdq ou4Vizr2pROnCgC3cUpgrade naar KadastraleKaart Pro
qmJcJrRpYvHFt1KYIltBUpgrade naar KadastraleKaart Pro
EKEAVESis1Q7wGq G4 Upgrade naar KadastraleKaart Pro
kwcj OpyiFGUpgrade naar KadastraleKaart Pro
GlYgsDXmFCNTTTM 5agsLnUpgrade naar KadastraleKaart Pro
gGjI GT1GoijpUpgrade naar KadastraleKaart Pro
9sJlQQMHHq eynp LINj8wqUpgrade naar KadastraleKaart Pro
AGkXUi LqyE1k4u2TX7DR Upgrade naar KadastraleKaart Pro
07/04/2003

Percelen
Gebruik de zoekbalk of klik op een perceel om informatie over het perceel te bekijken.