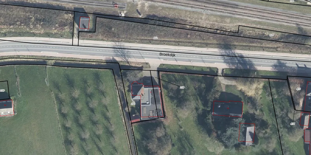
Perceel: KTR00-C-218
KadastraleKaart.com kan meer dan je denktOntdek meer ›
Filter op bestemming 50+ datasets Eigendomsdata in één klik Percelen CRM
Geen adressen bij dit perceel
140 m2 - 71 m
Eigenaar opvragen
KTR00-C-218 (Kesteren)
- Geen postcode aanwezig
AjDsTdh6 L6TYpmo1vTZG Upgrade naar KadastraleKaart Pro
Bekijk op Street View
Download DWG/DXF/Excel
J FMWU9gSnKCaDuYRDmBBgUpgrade naar KadastraleKaart Pro
TJP qvmBicYj 3 ZX6uI0Upgrade naar KadastraleKaart Pro
YKXkuqdrd7Upgrade naar KadastraleKaart Pro
1V lLc 00BeA3KsFmfMDUpgrade naar KadastraleKaart Pro
8DGAaoYn0qOqddurKEmtfOLUpgrade naar KadastraleKaart Pro
GtW5rKGE6fXp fXQqI5 QSBUpgrade naar KadastraleKaart Pro
AlGSDnMang4 cUpgrade naar KadastraleKaart Pro
nFMr3u5300zK8QkB5HawJaHUpgrade naar KadastraleKaart Pro
ni0yOVl 1 aWUpgrade naar KadastraleKaart Pro
SIGav45NWtUo vc3augC5zUpgrade naar KadastraleKaart Pro
10/10/2002

Percelen
Gebruik de zoekbalk of klik op een perceel om informatie over het perceel te bekijken.