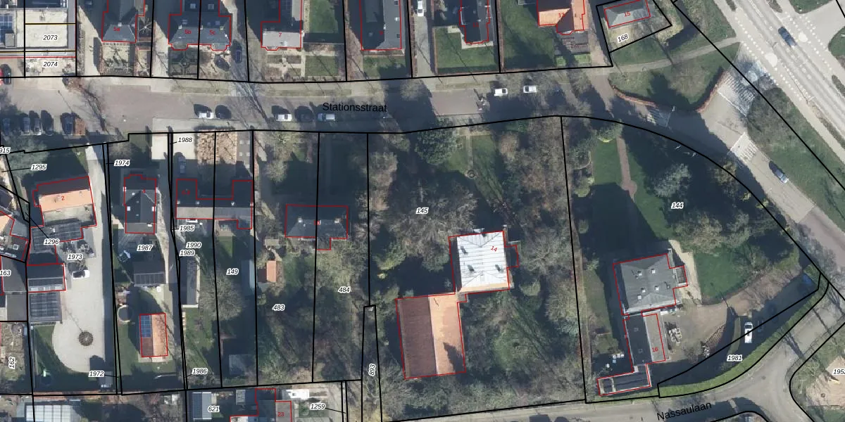
Perceel: KTR00-E-145
KadastraleKaart.com kan meer dan je denktOntdek meer ›
Filter op bestemming 50+ datasets Eigendomsdata in één klik Percelen CRM
3.230 m2 - 232 m
Eigenaar opvragen
KTR00-E-145 (Kesteren)
- 4041 CJ
xNzv7 seS3HUR2v Cm1oWz2Upgrade naar KadastraleKaart Pro
Bekijk op Street View
Download DWG/DXF/Excel
IAt4 AuJrHPZOYxHbUpgrade naar KadastraleKaart Pro
e S ryQAHHW3fXbkqu0rRUpgrade naar KadastraleKaart Pro
fFrCW2M uUpgrade naar KadastraleKaart Pro
yzKS oOmlWAZDw0QUpgrade naar KadastraleKaart Pro
1KI57STM2THq6ezo2KLUpgrade naar KadastraleKaart Pro
ki8QVDKKGNlTwBHuUpgrade naar KadastraleKaart Pro
elOYcxF3cgMl4Upgrade naar KadastraleKaart Pro
uhP tS0x2YaQ UIqUpgrade naar KadastraleKaart Pro
R4omRnxLELOxM 0rUpgrade naar KadastraleKaart Pro
aG1YBe5DPeVQOcGllkgBgaUpgrade naar KadastraleKaart Pro
16/09/2002

Percelen
Gebruik de zoekbalk of klik op een perceel om informatie over het perceel te bekijken.