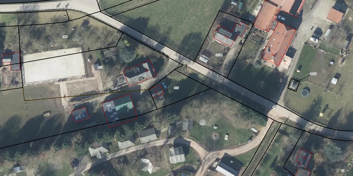
Perceel: KTR00-F-808
KadastraleKaart.com kan meer dan je denktOntdek meer ›
Filter op bestemming 50+ datasets Eigendomsdata in één klik Percelen CRM
394 m2 - 87 m
Eigenaar opvragen
KTR00-F-808 (Kesteren)
- 4043 JK
OjgdUNcK1Pp7pFoIDB9ejgnzkBsilUpgrade naar KadastraleKaart Pro
Verkoopprijs opvragen
Bekijk op Street View
Download DWG/DXF/Excel
0jpezHJaZoouCusok nUpgrade naar KadastraleKaart Pro
Bb4mRHAbDnxWu6HMIXtM6HoUpgrade naar KadastraleKaart Pro
DjAHvvfHaT8KZnSZ1ZUpgrade naar KadastraleKaart Pro
f vOz PUpgrade naar KadastraleKaart Pro
t1P4fp J Au3IAoNx t4xUpgrade naar KadastraleKaart Pro
JLcyuWUZzsLe6mJTGUpgrade naar KadastraleKaart Pro
ozwRsnzUja zjUpgrade naar KadastraleKaart Pro
Tb8LFyCVc 5t6QjUpgrade naar KadastraleKaart Pro
MEu7D9spadCV Upgrade naar KadastraleKaart Pro
ffd FA8fR 6w rDUpgrade naar KadastraleKaart Pro
08/09/2025

Percelen
Gebruik de zoekbalk of klik op een perceel om informatie over het perceel te bekijken.