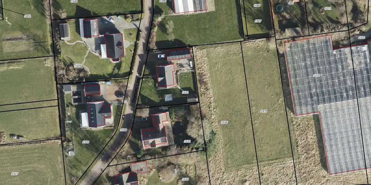
Perceel: KTS00-C-1531
KadastraleKaart.com kan meer dan je denktOntdek meer ›
Filter op bestemming 50+ datasets Eigendomsdata in één klik Percelen CRM
881 m2 - 121 m
Eigenaar opvragen
KTS00-C-1531 (Kantens)
- 9997 PR
poT75fGlg9ixi1TE NN8eBGJlkN mUpgrade naar KadastraleKaart Pro
Verkoopprijs opvragen
Bekijk op Street View
Download DWG/DXF/Excel
yMrW1h0OuHpUpgrade naar KadastraleKaart Pro
gmpvCtwUpgrade naar KadastraleKaart Pro
XDfC9VOR5Gnn OPFJ7JWalUpgrade naar KadastraleKaart Pro
o Rc1VGUW7 7TjIUpgrade naar KadastraleKaart Pro
FiJ4Vf r15Upgrade naar KadastraleKaart Pro
49DRAK px8Upgrade naar KadastraleKaart Pro
e7x C8ieUpgrade naar KadastraleKaart Pro
z0U BRwe jjoxu 3Upgrade naar KadastraleKaart Pro
zmGk5A Qp93Sd K1AvEH 2Upgrade naar KadastraleKaart Pro
a 3v6P f9v ZbxzUpgrade naar KadastraleKaart Pro
27/10/2005

Percelen
Gebruik de zoekbalk of klik op een perceel om informatie over het perceel te bekijken.