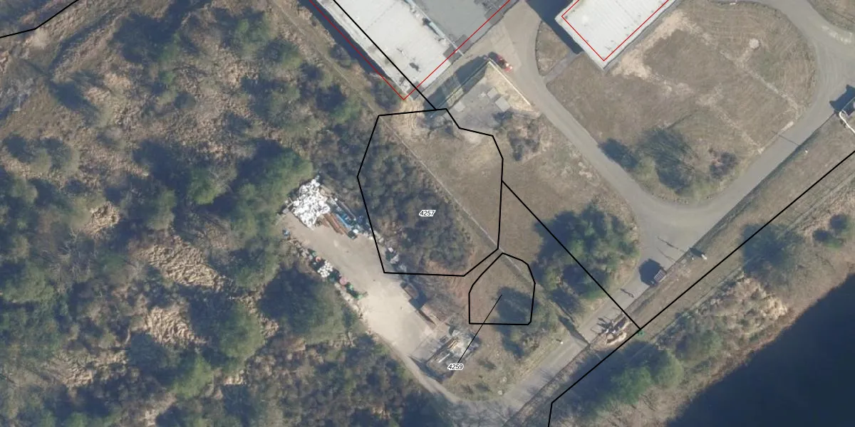
Perceel: KWK01-A-4257
Geen adressen bij dit perceel
1.080 m2 - 124 m
Eigenaar opvragen
KWK01-A-4257 (Katwijk)
- Geen postcode aanwezig
SFh7YVRNzdxw gN vsOt 6GylnoD2kUpgrade naar KadastraleKaart Pro
Bekijk op Street View
Download DWG/DXF/Excel
Ignu5vS3qT8LAFUpgrade naar KadastraleKaart Pro
0yCp6rAvEeLwujUpgrade naar KadastraleKaart Pro
OE2AYGmAxklugFsPeUpgrade naar KadastraleKaart Pro
wwASEvXdiVbPVWUpgrade naar KadastraleKaart Pro
cb jj3wa3dT6qLepgAdUpgrade naar KadastraleKaart Pro
gl2N dXxiOpvY s47uYYpUpgrade naar KadastraleKaart Pro
4NiAgJGnFq HSEUpgrade naar KadastraleKaart Pro
t Ez8excUT9axbUpgrade naar KadastraleKaart Pro
kUX5hXnHzsaC 1xUpgrade naar KadastraleKaart Pro
zvjUVpYNuu5kyVUpgrade naar KadastraleKaart Pro
08/05/2000

Percelen
Gebruik de zoekbalk of klik op een perceel om informatie over het perceel te bekijken.