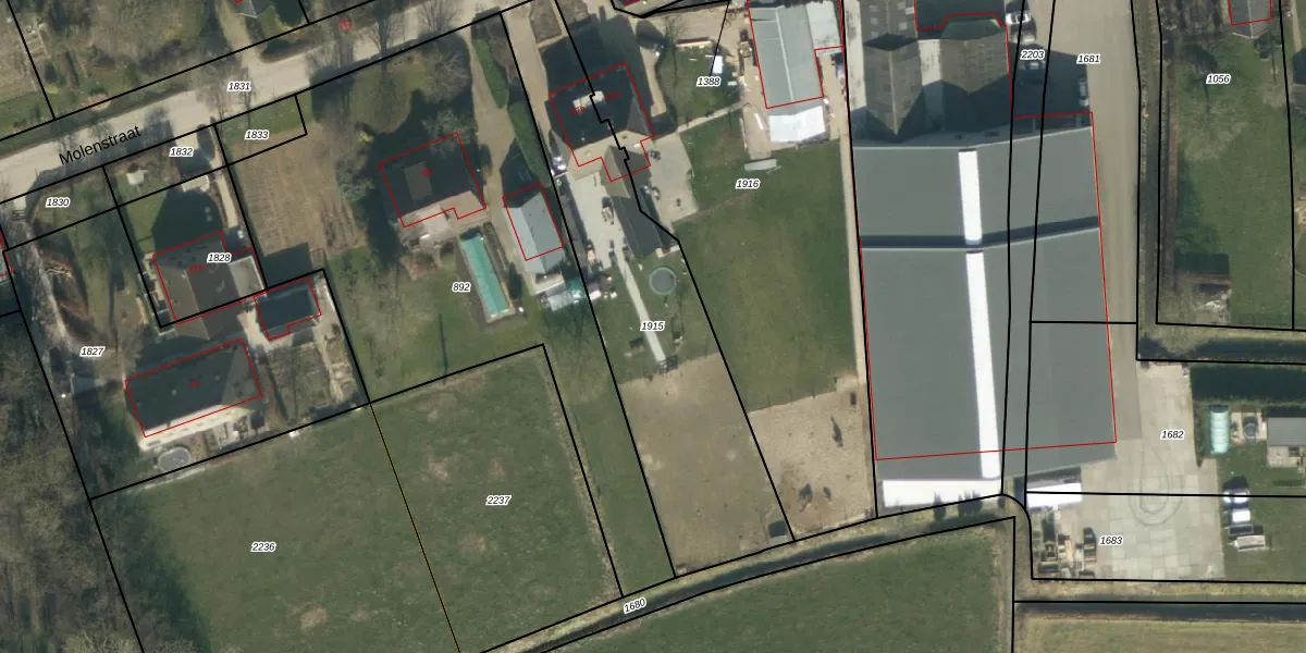
Perceel: KWK02-T-1915
KadastraleKaart.com kan meer dan je denktOntdek meer ›
Filter op bestemming 50+ datasets Eigendomsdata in één klik Percelen CRM
1.285 m2 - 214 m
Eigenaar opvragen
KWK02-T-1915 (Kerkwijk)
- 5317 JE
AMEyXuuDVf69dJwD4jYMFdUpgrade naar KadastraleKaart Pro
Verkoopprijs opvragen
Bekijk op Street View
Download DWG/DXF/Excel
pEQAz NBKsOQjcUpgrade naar KadastraleKaart Pro
kpg7NUivmZU7 HP61 ZlyzuUpgrade naar KadastraleKaart Pro
zs6ecIvkgnw KSrGzdEsFrUpgrade naar KadastraleKaart Pro
o T6w LRFU9NbENhVUpgrade naar KadastraleKaart Pro
A8KZuzIL2k0QvUpgrade naar KadastraleKaart Pro
9hTDM10h0zHFpyUpgrade naar KadastraleKaart Pro
N WR9 VNrCcIPPkkW9KUpgrade naar KadastraleKaart Pro
oKrHhN9w4Tf pRSwUpgrade naar KadastraleKaart Pro
OHWfflFVem d b M3txWUpgrade naar KadastraleKaart Pro
ARQ tawYLOIdtdUpgrade naar KadastraleKaart Pro
27/11/2018

Percelen
Gebruik de zoekbalk of klik op een perceel om informatie over het perceel te bekijken.