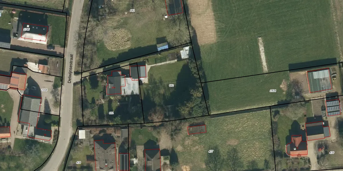
Perceel: KWK02-T-692
KadastraleKaart.com kan meer dan je denktOntdek meer ›
Filter op bestemming 50+ datasets Eigendomsdata in één klik Percelen CRM
Geen adressen bij dit perceel
1.610 m2 - 221 m
Eigenaar opvragen
KWK02-T-692 (Kerkwijk)
- Geen postcode aanwezig
vUo0i1N4QQqRkcgiVBW6 sUpgrade naar KadastraleKaart Pro
Bekijk op Street View
Download DWG/DXF/Excel
nl4NRvvHrmAfbchDyULUpgrade naar KadastraleKaart Pro
pgZzWnF9wO389mP1iMa5NXUpgrade naar KadastraleKaart Pro
fqtZ 3nlAi2f6K 7nvs6IrUpgrade naar KadastraleKaart Pro
llRjw4ier8XEYUpgrade naar KadastraleKaart Pro
iYAxU3PPotlDgUpgrade naar KadastraleKaart Pro
j GuEROnMXPaEbp8Upgrade naar KadastraleKaart Pro
OA1PCGyR6cePsJv3NKB cUpgrade naar KadastraleKaart Pro
pu PhZT Upgrade naar KadastraleKaart Pro
UozZaPicR oytrqGjUpgrade naar KadastraleKaart Pro
UdkEsqfOg8aihUpgrade naar KadastraleKaart Pro
07/07/2009

Percelen
Gebruik de zoekbalk of klik op een perceel om informatie over het perceel te bekijken.