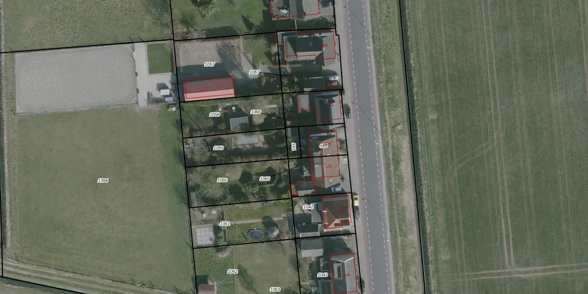
Perceel: KWL00-C-591
KadastraleKaart.com kan meer dan je denktOntdek meer ›
Filter op bestemming 50+ datasets Eigendomsdata in één klik Percelen CRM
Geen adressen bij dit perceel
47 m2 - 30 m
Eigenaar opvragen
KWL00-C-591 (Klaaswaal)
- Geen postcode aanwezig
qv k 49VVZbIS0Bg3Upgrade naar KadastraleKaart Pro
Bekijk op Street View
Download DWG/DXF/Excel
Rk y yE1EQHmbWBS tOnRYUpgrade naar KadastraleKaart Pro
XUCgkDfhgeJ3TuSUpgrade naar KadastraleKaart Pro
4vl69 OzRCIAmY0gRhT6JFBUpgrade naar KadastraleKaart Pro
7 iagc2GMtCHhUpgrade naar KadastraleKaart Pro
XBpBscvQUpgrade naar KadastraleKaart Pro
MjBu9vSr3uSUpgrade naar KadastraleKaart Pro
aij4sHtR1Hhtbjb46HiUpgrade naar KadastraleKaart Pro
uRYa79hSF hZvcIyoLUpgrade naar KadastraleKaart Pro
b1 UMPK0grlrbUpgrade naar KadastraleKaart Pro
1DuQR2MGTHbUpgrade naar KadastraleKaart Pro
02/07/2003

Percelen
Gebruik de zoekbalk of klik op een perceel om informatie over het perceel te bekijken.