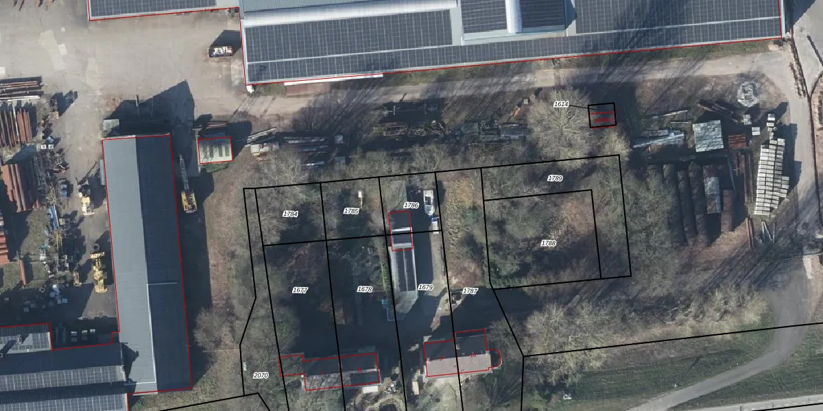
Perceel: LBH00-A-1786
KadastraleKaart.com kan meer dan je denktOntdek meer ›
Filter op bestemming 50+ datasets Eigendomsdata in één klik Percelen CRM
Geen adressen bij dit perceel
190 m2 - 56 m
Eigenaar opvragen
LBH00-A-1786 (Lobith en Spijk)
- Geen postcode aanwezig
K5 ep staA TcgA PUpgrade naar KadastraleKaart Pro
Bekijk op Street View
Download DWG/DXF/Excel
mLOn Ei9EduNbww4 j817LUpgrade naar KadastraleKaart Pro
xdFHTXkm8KrvItoaE5Upgrade naar KadastraleKaart Pro
4AWUD xy3u0RoNDh9sJjWUpgrade naar KadastraleKaart Pro
btCyetY5 7vcm9ojfyVXUpgrade naar KadastraleKaart Pro
6FHSEghUpgrade naar KadastraleKaart Pro
SBYO12O5Upgrade naar KadastraleKaart Pro
tHfMPvqs2X7XqOxUHSyIoUpgrade naar KadastraleKaart Pro
tCjh4ndLw8HUpgrade naar KadastraleKaart Pro
0iB9mWUKUpgrade naar KadastraleKaart Pro
a1uXff8jlhGUpgrade naar KadastraleKaart Pro
18/06/2008

Percelen
Gebruik de zoekbalk of klik op een perceel om informatie over het perceel te bekijken.