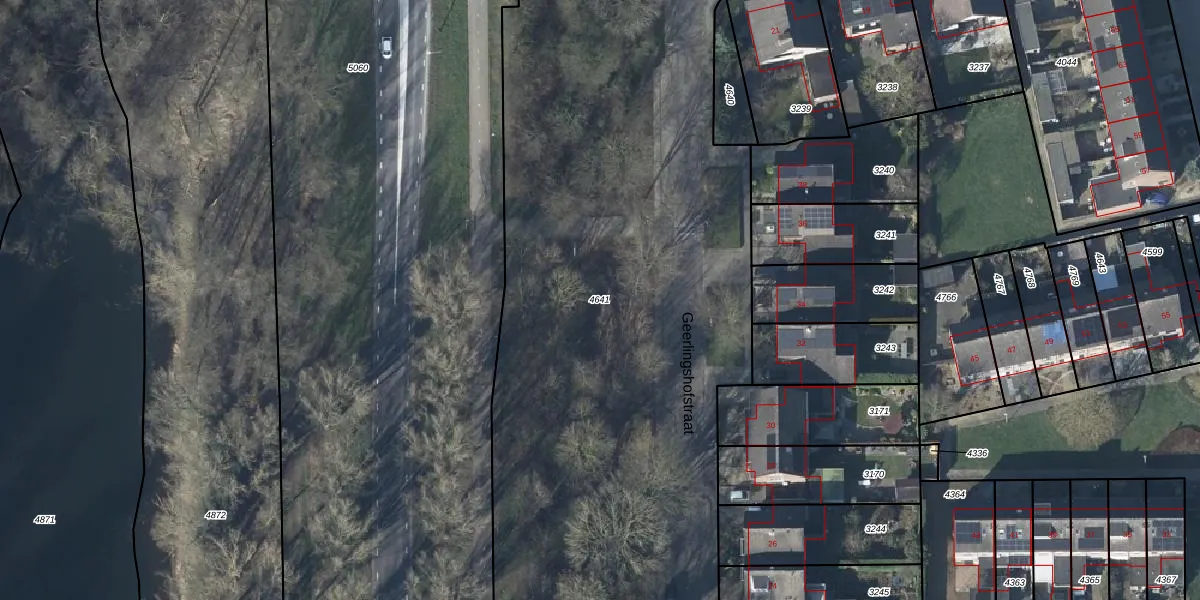
Perceel: LBH00-B-4641
KadastraleKaart.com kan meer dan je denktOntdek meer ›
Filter op bestemming 50+ datasets Eigendomsdata in één klik Percelen CRM
Geen adressen bij dit perceel
12.275 m2 - 699 m
Eigenaar opvragen
LBH00-B-4641 (Lobith en Spijk)
- Geen postcode aanwezig
EhiT7nqGOYHq2WQARacFVp5qUpgrade naar KadastraleKaart Pro
Bekijk op Street View
Download DWG/DXF/Excel
lQ Zj0KaUpgrade naar KadastraleKaart Pro
FT PI PppQUpgrade naar KadastraleKaart Pro
oHZCVWQZOUpgrade naar KadastraleKaart Pro
TSuts4GcYxdUpgrade naar KadastraleKaart Pro
ItlJSrDrUUpgrade naar KadastraleKaart Pro
gm5i5UFvC oiogqDfnUpgrade naar KadastraleKaart Pro
Ac k5uYkZ Upgrade naar KadastraleKaart Pro
ndugD3La 1r2iFBLH0Upgrade naar KadastraleKaart Pro
of JrTJSVUpgrade naar KadastraleKaart Pro
n S0RJ2h4kUUpgrade naar KadastraleKaart Pro
18/02/2011

Percelen
Gebruik de zoekbalk of klik op een perceel om informatie over het perceel te bekijken.