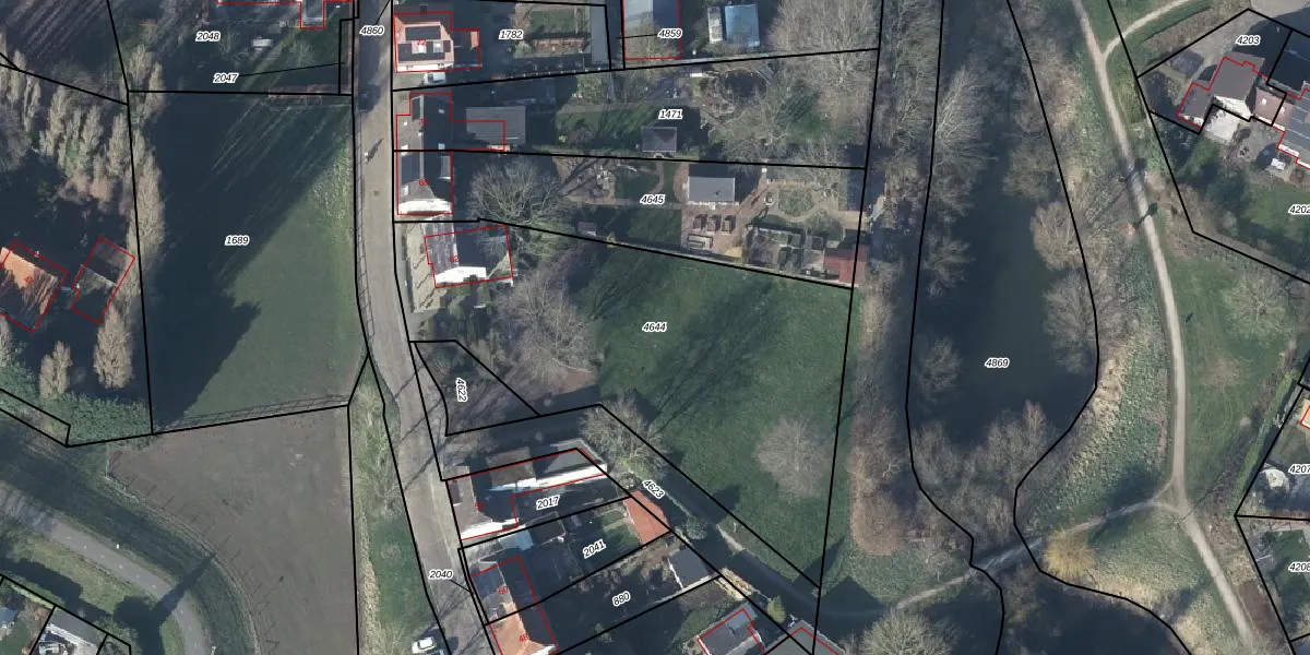
Perceel: LBH00-B-4644
KadastraleKaart.com kan meer dan je denktOntdek meer ›
Filter op bestemming 50+ datasets Eigendomsdata in één klik Percelen CRM
2.084 m2 - 214 m
Eigenaar opvragen
LBH00-B-4644 (Lobith en Spijk)
- 6916 AX
LHa6XI1 0xuVe1qLycSYgiybGp YUpgrade naar KadastraleKaart Pro
Bekijk op Street View
Download DWG/DXF/Excel
2o0PPwl Dd0MVUpgrade naar KadastraleKaart Pro
22awS9WhGVYUpgrade naar KadastraleKaart Pro
jVuveANSbDUpgrade naar KadastraleKaart Pro
ReEV9CG WECF93 RtlUpgrade naar KadastraleKaart Pro
pdj8iooDL4UUpgrade naar KadastraleKaart Pro
a3jb6AA8jV6DFgLUpgrade naar KadastraleKaart Pro
o92uYD XmmtVbX Bv0IJWLUpgrade naar KadastraleKaart Pro
3NP44S0oNH4sMBoUpgrade naar KadastraleKaart Pro
EKBOKUdQmSr7I mUpgrade naar KadastraleKaart Pro
ENgq V ylqSGf Upgrade naar KadastraleKaart Pro
30/03/2009

Percelen
Gebruik de zoekbalk of klik op een perceel om informatie over het perceel te bekijken.