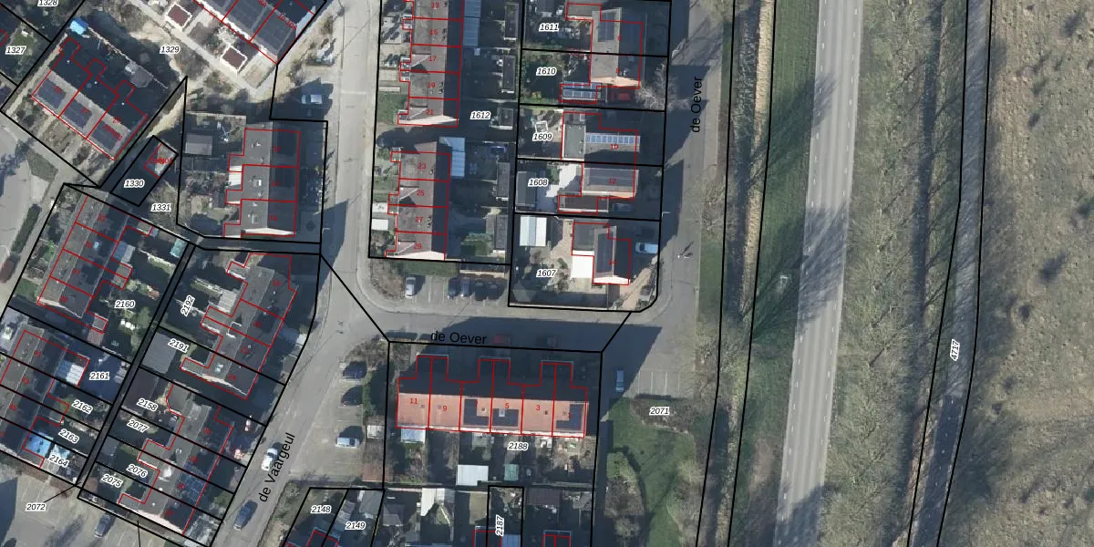
Perceel: LBH00-C-1607
KadastraleKaart.com kan meer dan je denktOntdek meer ›
Filter op bestemming 50+ datasets Eigendomsdata in één klik Percelen CRM
454 m2 - 86 m
Eigenaar opvragen
LBH00-C-1607 (Lobith en Spijk)
- 6916 DB
xU T3y doniPRzqegjC4CuUpgrade naar KadastraleKaart Pro
Bekijk op Street View
Download DWG/DXF/Excel
RbpOkgr 5FtFAbUpgrade naar KadastraleKaart Pro
GotKaBX8uc7 44IoIv0WUpgrade naar KadastraleKaart Pro
r wBkvGi lqF770 o nUpgrade naar KadastraleKaart Pro
7rVjG cUpgrade naar KadastraleKaart Pro
Bjt0uj2Rhh8pqBDBzlkwbUpgrade naar KadastraleKaart Pro
IV 3o 6GPWuSv tUpgrade naar KadastraleKaart Pro
mWuatcjfszPTI8RIREtACT Upgrade naar KadastraleKaart Pro
25lC7MMTUpgrade naar KadastraleKaart Pro
Ut25ROiGg 8 fkUpgrade naar KadastraleKaart Pro
D88S NXYk Upgrade naar KadastraleKaart Pro
18/03/2004

Percelen
Gebruik de zoekbalk of klik op een perceel om informatie over het perceel te bekijken.