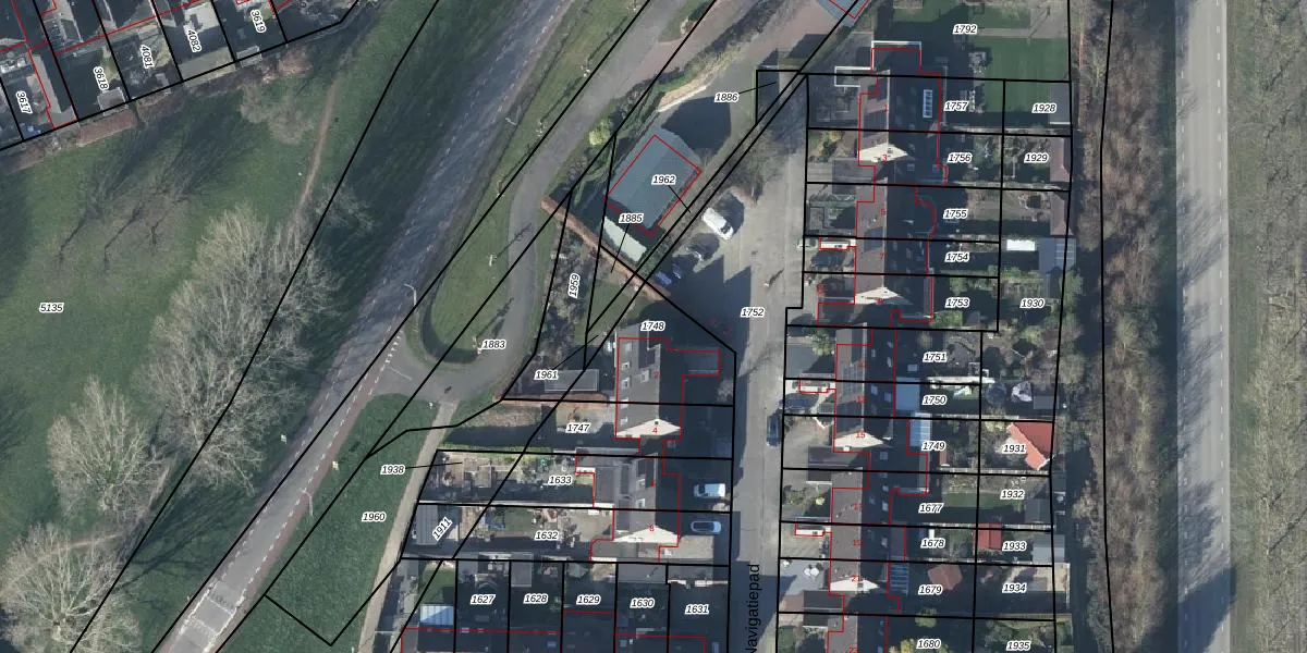
Perceel: LBH00-C-1748
KadastraleKaart.com kan meer dan je denktOntdek meer ›
Filter op bestemming 50+ datasets Eigendomsdata in één klik Percelen CRM
300 m2 - 75 m
Eigenaar opvragen
LBH00-C-1748 (Lobith en Spijk)
- 6916 DA
MQZPsWCGq1cJrFYD9eYQUpgrade naar KadastraleKaart Pro
Verkoopprijs opvragen
Bekijk op Street View
Download DWG/DXF/Excel
vfPpTB4Pi kYUpgrade naar KadastraleKaart Pro
LGsfRnSZS15NJL29tWdNZRUpgrade naar KadastraleKaart Pro
FIbMWzx ye20GGygUpgrade naar KadastraleKaart Pro
4vOfFX32 W CEBYJpVnJY1Upgrade naar KadastraleKaart Pro
U60P29r9Ddi2AYJlwZUpgrade naar KadastraleKaart Pro
TYI6lJhMUpgrade naar KadastraleKaart Pro
ZmJKedrZVKoyB d cHR zmUpgrade naar KadastraleKaart Pro
yGropaWCJfCWyGIz0RpkLUpgrade naar KadastraleKaart Pro
eu8Jlr75 0pUWdWH7idaGUpgrade naar KadastraleKaart Pro
1NoD bmHJODypVrUpgrade naar KadastraleKaart Pro
08/08/2000

Percelen
Gebruik de zoekbalk of klik op een perceel om informatie over het perceel te bekijken.