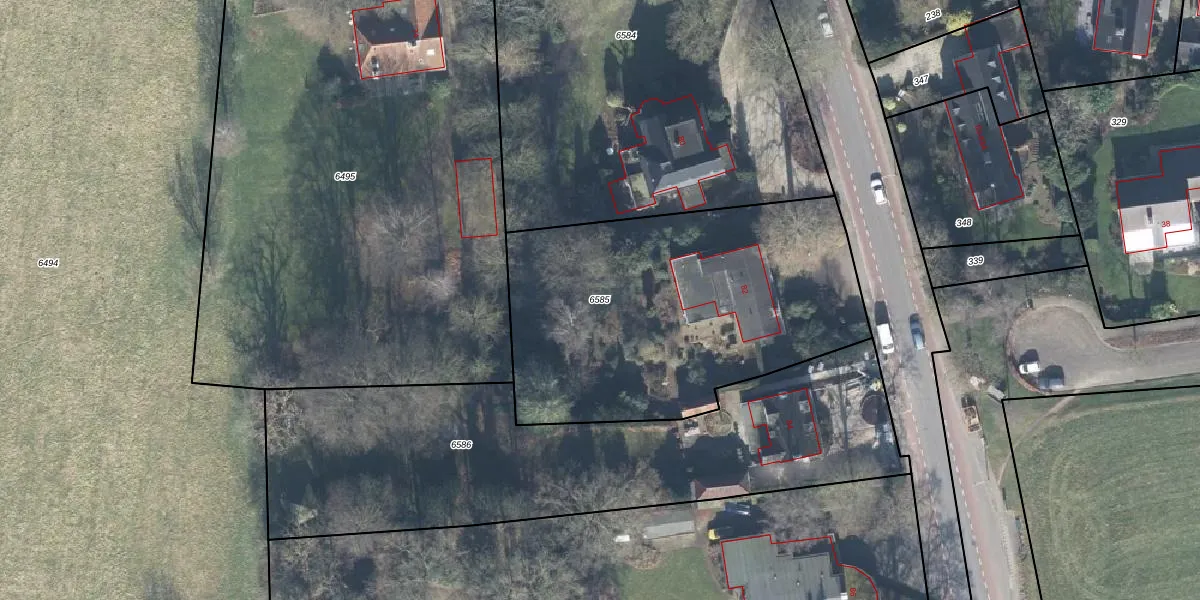
Perceel: LCM00-B-6585
KadastraleKaart.com kan meer dan je denktOntdek meer ›
Filter op bestemming 50+ datasets Eigendomsdata in één klik Percelen CRM
1.628 m2 - 177 m
Eigenaar opvragen
LCM00-B-6585 (Lochem)
- 7241 JG
i 2aulTvW2tQpLEUFFpjsryf2WAG1zDUpgrade naar KadastraleKaart Pro
Bekijk op Street View
Download DWG/DXF/Excel
fNur99uHp8WDT0pBzd9Y2SUpgrade naar KadastraleKaart Pro
qn8c Z DQd1UcNUpgrade naar KadastraleKaart Pro
qOA2nvvhQUpgrade naar KadastraleKaart Pro
68iOKUA2QiV5AQTHdEbfDcUpgrade naar KadastraleKaart Pro
4 zVQ s1f BzNCUpgrade naar KadastraleKaart Pro
0itRf yhSkB 9 HtCfMfUpgrade naar KadastraleKaart Pro
INVezh5YrEulVAI1f0dF0Upgrade naar KadastraleKaart Pro
FN T0xI6 Upgrade naar KadastraleKaart Pro
kgujF Rzw97MmEqc8Upgrade naar KadastraleKaart Pro
DUu7Ce2WPYr2Upgrade naar KadastraleKaart Pro
06/04/2004

Percelen
Gebruik de zoekbalk of klik op een perceel om informatie over het perceel te bekijken.