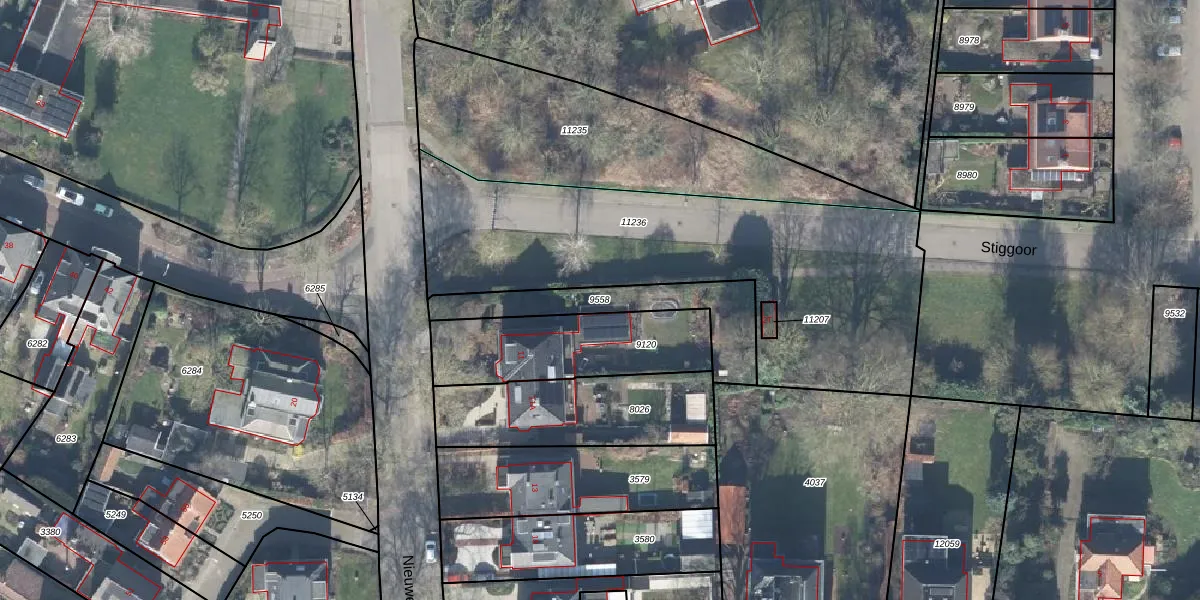
Perceel: LCM00-B-9558
Geen adressen bij dit perceel
335 m2 - 143 m
Eigenaar opvragen
LCM00-B-9558 (Lochem)
- Geen postcode aanwezig
N9puo9WHezoRH IB qLZPIxUpgrade naar KadastraleKaart Pro
Bekijk op Street View
Download DWG/DXF/Excel
AuY5LGHFQ43WD0KE h 2GoUpgrade naar KadastraleKaart Pro
of9A on Z0bwUpgrade naar KadastraleKaart Pro
TCfvmEtl 2hiDSgLWlUpgrade naar KadastraleKaart Pro
q a8PsCO SQkvj5f29KB IlUpgrade naar KadastraleKaart Pro
vq5139 2oikGQOGlnUpgrade naar KadastraleKaart Pro
PeAmmjc 7GoIO2JVuc 1uRUpgrade naar KadastraleKaart Pro
cuue0V1eia iXZCMmSgUpgrade naar KadastraleKaart Pro
nbw3IgpSdfkUpgrade naar KadastraleKaart Pro
oBWEf0 LUpgrade naar KadastraleKaart Pro
PST9O nuJv 0rUpgrade naar KadastraleKaart Pro
04/10/2000

Percelen
Gebruik de zoekbalk of klik op een perceel om informatie over het perceel te bekijken.