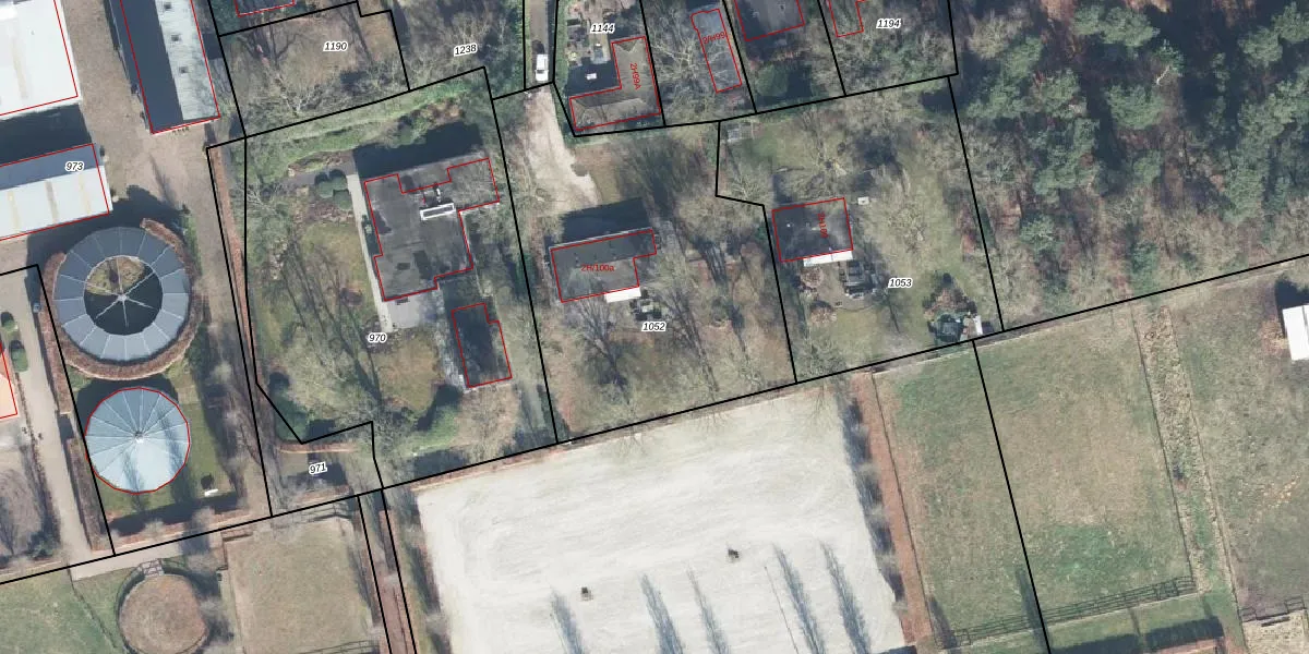
Perceel: LCM00-D-1052
KadastraleKaart.com kan meer dan je denktOntdek meer ›
Filter op bestemming 50+ datasets Eigendomsdata in één klik Percelen CRM
1.658 m2 - 179 m
Eigenaar opvragen
LCM00-D-1052 (Lochem)
- 7241 SC
srHu6JNOc5WC78gdS7uWF27VT AfC7qUpgrade naar KadastraleKaart Pro
Bekijk op Street View
Download DWG/DXF/Excel
Bq6Xe iBWx iXAeN57htUpgrade naar KadastraleKaart Pro
lXEnGzCGuUpgrade naar KadastraleKaart Pro
cVvAjhrtcS7pUpgrade naar KadastraleKaart Pro
A a6NP5kww2Upgrade naar KadastraleKaart Pro
OJ9BqbG9yWTm0Y2cUpgrade naar KadastraleKaart Pro
6h Dmq yCAp0 Upgrade naar KadastraleKaart Pro
4cyJ75BEgM1zBf2f2wxyv3Upgrade naar KadastraleKaart Pro
mvuYoTQzO yLvBm6zO2vUpgrade naar KadastraleKaart Pro
y UE5TYg5b0oE GBAn Upgrade naar KadastraleKaart Pro
fkSGLm bWu 7 Upgrade naar KadastraleKaart Pro
02/08/2011

Percelen
Gebruik de zoekbalk of klik op een perceel om informatie over het perceel te bekijken.