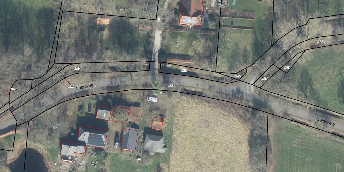
Perceel: LCM00-E-4239
Geen adressen bij dit perceel
7.253 m2 - 1.391 m
Eigenaar opvragen
LCM00-E-4239 (Lochem)
- Geen postcode aanwezig
Y5rsfPXVYYJi4YBtrUpgrade naar KadastraleKaart Pro
Bekijk op Street View
Download DWG/DXF/Excel
KySfuoR s2Rk5d 65SeUpgrade naar KadastraleKaart Pro
Au1RT7QaRUpgrade naar KadastraleKaart Pro
VkAVseCRKF maHteU3DUpgrade naar KadastraleKaart Pro
SLshg8SQiIxJ37doUpgrade naar KadastraleKaart Pro
7 35584EdnV4E7ToCUpgrade naar KadastraleKaart Pro
VDYsdI FS9UZUpgrade naar KadastraleKaart Pro
HUOORDnSuiFfm8CX2 5lUpgrade naar KadastraleKaart Pro
Ijtw jCGiNhgyr2uwUpgrade naar KadastraleKaart Pro
Dx0Ysm i09QFWa OUpgrade naar KadastraleKaart Pro
Q jCVsAkDtGaKYUpgrade naar KadastraleKaart Pro
05/05/2021

Percelen
Gebruik de zoekbalk of klik op een perceel om informatie over het perceel te bekijken.