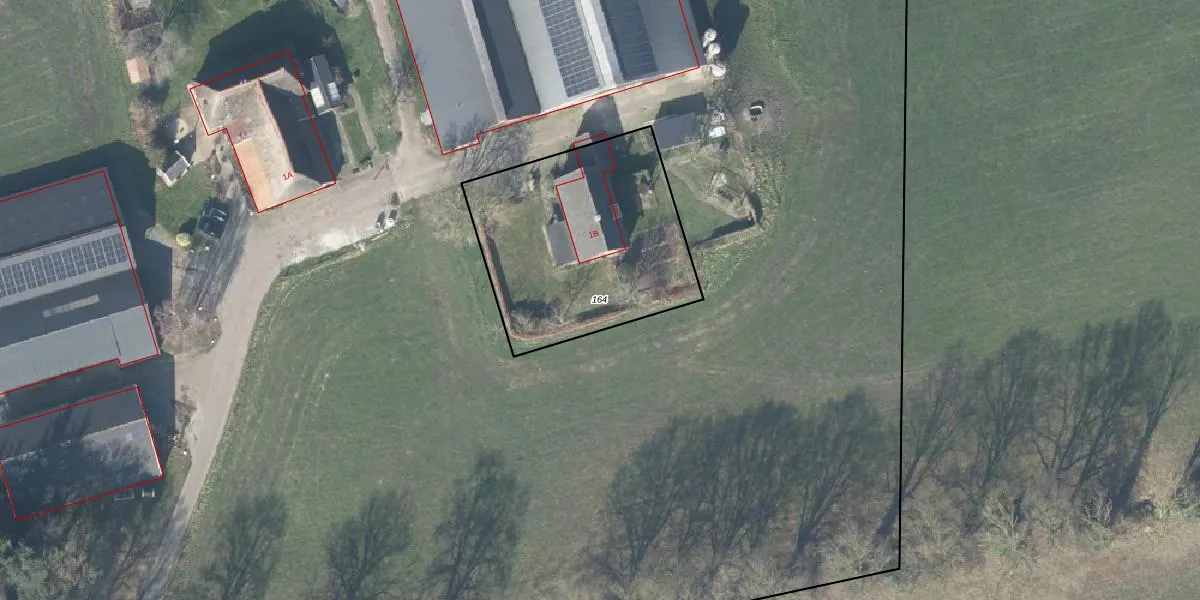
Perceel: LCM00-T-164
KadastraleKaart.com kan meer dan je denktOntdek meer ›
Filter op bestemming 50+ datasets Eigendomsdata in één klik Percelen CRM
997 m2 - 126 m
Eigenaar opvragen
LCM00-T-164 (Lochem)
- 7245 VC
u4Il3LQaAEGia 7rnT4MxFLQXzwbb7Upgrade naar KadastraleKaart Pro
Verkoopprijs opvragen
Bekijk op Street View
Download DWG/DXF/Excel
W5iqhDuXnBGC5vDuD3Upgrade naar KadastraleKaart Pro
ZYJCUH6JJwwRFDLUpgrade naar KadastraleKaart Pro
HGEAmmIyI1Xm6GPUpgrade naar KadastraleKaart Pro
kz7vakURwMs6quUUpgrade naar KadastraleKaart Pro
w FTuQBw 52xUpgrade naar KadastraleKaart Pro
c4 yYrg VUpgrade naar KadastraleKaart Pro
bNwJ8c fB vQizVzTBUpgrade naar KadastraleKaart Pro
P iQ7VG7eGLJvhLTsl fBUpgrade naar KadastraleKaart Pro
94EoA R 5FUpgrade naar KadastraleKaart Pro
fKamAId7gVzYT8f3HXTUUpgrade naar KadastraleKaart Pro
09/08/2000

Percelen
Gebruik de zoekbalk of klik op een perceel om informatie over het perceel te bekijken.