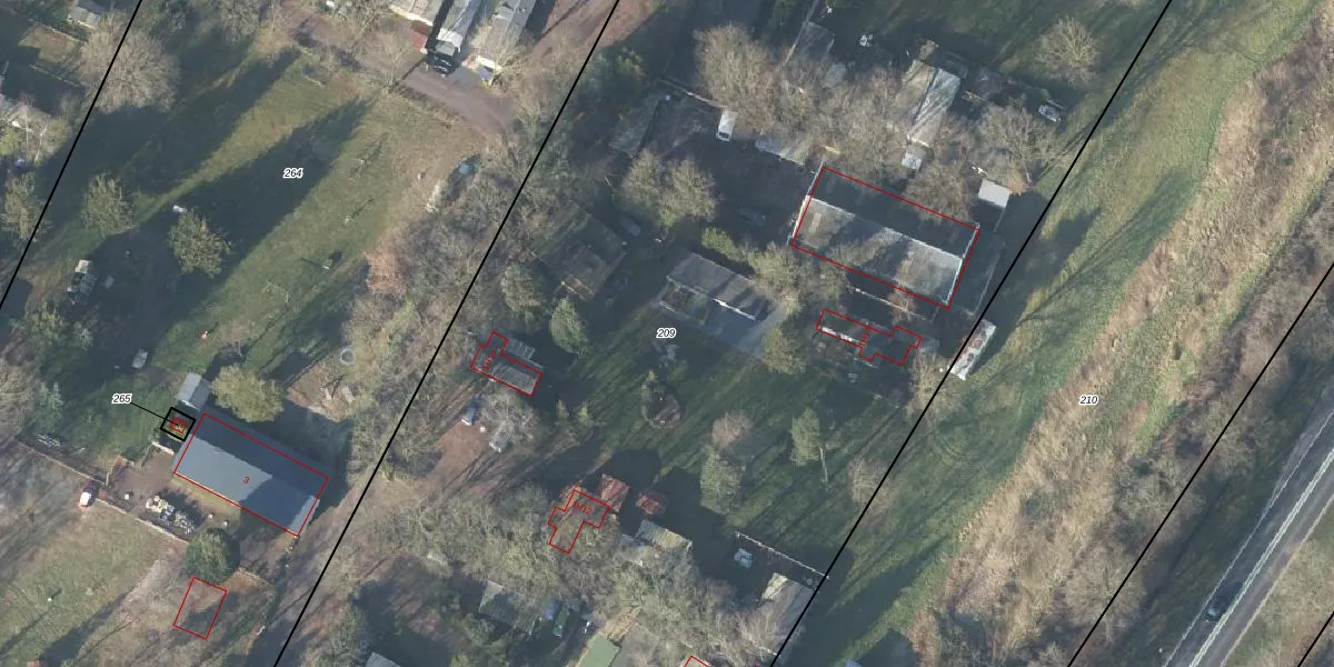
Perceel: LCM00-V-209
KadastraleKaart.com kan meer dan je denktOntdek meer ›
Filter op bestemming 50+ datasets Eigendomsdata in één klik Percelen CRM
22.650 m2 - 777 m
Eigenaar opvragen
LCM00-V-209 (Lochem)
- 7245 SG
tNWYV8wIjZki4QhqRrXlRw Sr9xUpgrade naar KadastraleKaart Pro
Bekijk op Street View
Download DWG/DXF/Excel
M5S0BGfG X6HlefGmqJUpgrade naar KadastraleKaart Pro
dXGk4Can ESUpgrade naar KadastraleKaart Pro
Xs 4kDQ0 sC6aXEUpgrade naar KadastraleKaart Pro
DNm Lx3CkwQ1NbAMYv hOUpgrade naar KadastraleKaart Pro
y3kbZ COjl4M LQUpgrade naar KadastraleKaart Pro
Vu0haUZoowUpgrade naar KadastraleKaart Pro
2yq3 RvsNeGr wUpgrade naar KadastraleKaart Pro
D LIbi 3GnNUpgrade naar KadastraleKaart Pro
fi53SET 9DR06SQNUpgrade naar KadastraleKaart Pro
Sb rxpoY2NbHA7Upgrade naar KadastraleKaart Pro
28/01/2003

Percelen
Gebruik de zoekbalk of klik op een perceel om informatie over het perceel te bekijken.