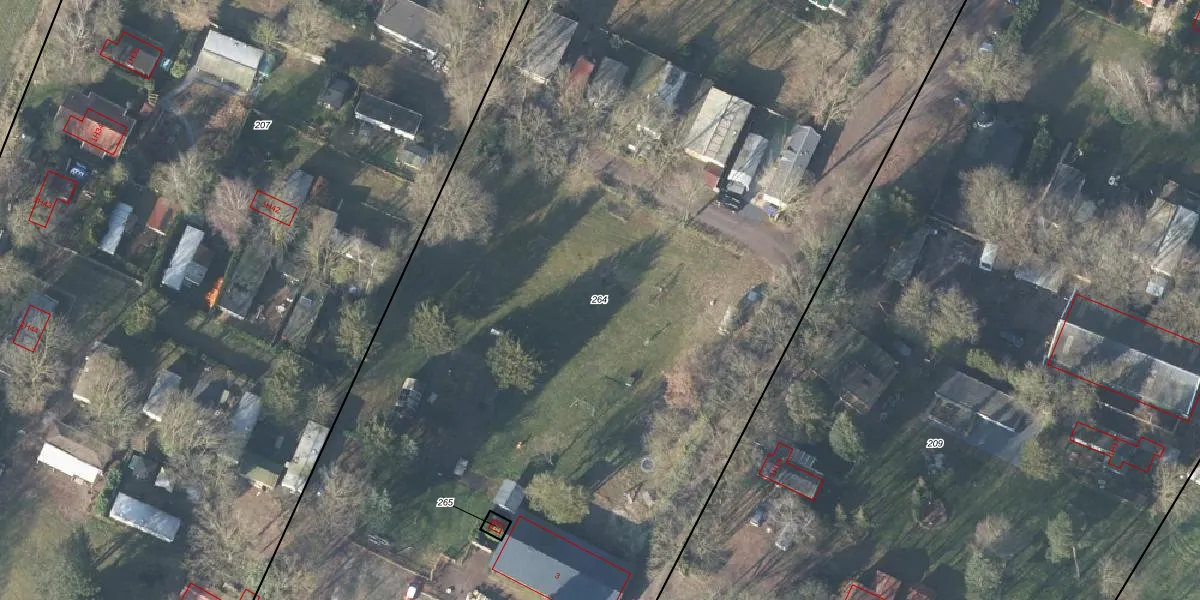
Perceel: LCM00-V-264
KadastraleKaart.com kan meer dan je denktOntdek meer ›
Filter op bestemming 50+ datasets Eigendomsdata in één klik Percelen CRM
20.296 m2 - 776 m
Eigenaar opvragen
LCM00-V-264 (Lochem)
- 7245 SG
r u6C12AIAQ8 YOwXlUpgrade naar KadastraleKaart Pro
Bekijk op Street View
Download DWG/DXF/Excel
YlmPCgnpUpgrade naar KadastraleKaart Pro
S8jGdXLqBESzaoUpgrade naar KadastraleKaart Pro
PygPM62gIClU4dPZNt Upgrade naar KadastraleKaart Pro
VwrnGlQLN4BCxU3 MNgGkUpgrade naar KadastraleKaart Pro
B1AgVedz07t NpC5 5 X3Upgrade naar KadastraleKaart Pro
wyXDeJ u N0w5uCiRSUpgrade naar KadastraleKaart Pro
gIDNNMIAI2mkNYWuvWgjRUpgrade naar KadastraleKaart Pro
Ns8b4d1ivYwUpgrade naar KadastraleKaart Pro
gQ0rG170ETvhL43P58gIOUpgrade naar KadastraleKaart Pro
O3Gz3owhj uk4Upgrade naar KadastraleKaart Pro
22/04/2016

Percelen
Gebruik de zoekbalk of klik op een perceel om informatie over het perceel te bekijken.