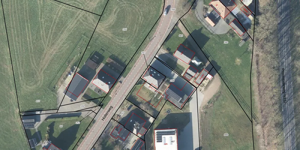
Perceel: LCM00-Z-257
KadastraleKaart.com kan meer dan je denktOntdek meer ›
Filter op bestemming 50+ datasets Eigendomsdata in één klik Percelen CRM
140 m2 - 48 m
Eigenaar opvragen
LCM00-Z-257 (Lochem)
- 7245 SC
85 qfZHjLiZ aVs7 BrvYd66bhUpgrade naar KadastraleKaart Pro
Verkoopprijs opvragen
Bekijk op Street View
Download DWG/DXF/Excel
qSuo s3AC gUpgrade naar KadastraleKaart Pro
U n5mN mGZOUpgrade naar KadastraleKaart Pro
kizHiFlOZ75jNSUpgrade naar KadastraleKaart Pro
GiSvkwjFNUpgrade naar KadastraleKaart Pro
P5iNCkZ LJ3Upgrade naar KadastraleKaart Pro
pZRDdPe8KQUpgrade naar KadastraleKaart Pro
pGpzoTpJYCjj4CUpgrade naar KadastraleKaart Pro
ta3V M1 uiDAgdYeUpgrade naar KadastraleKaart Pro
qxq6DkA 37nAUpgrade naar KadastraleKaart Pro
RnCCKqdhrbT hOUpgrade naar KadastraleKaart Pro
09/09/2009

Percelen
Gebruik de zoekbalk of klik op een perceel om informatie over het perceel te bekijken.