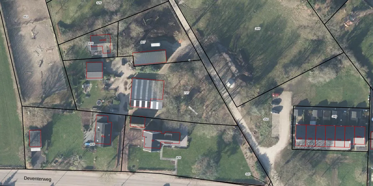
Perceel: LCM00-Z-715
Geen adressen bij dit perceel
2.251 m2 - 235 m
Eigenaar opvragen
LCM00-Z-715 (Lochem)
- Geen postcode aanwezig
a O 15F utrqsJHfzy3Upgrade naar KadastraleKaart Pro
Bekijk op Street View
Download DWG/DXF/Excel
4 LQDvKwwYblh97Upgrade naar KadastraleKaart Pro
0O k9PSUDhUpgrade naar KadastraleKaart Pro
izyMHdL5W0Wd8eUpgrade naar KadastraleKaart Pro
fugGeeYSP9VsMF mXHy9Upgrade naar KadastraleKaart Pro
HJrGwqNMHf JVoF7Upgrade naar KadastraleKaart Pro
EL RBygS5QMuW2yAH zUpgrade naar KadastraleKaart Pro
IIb UN9r6gUpgrade naar KadastraleKaart Pro
d3VI wIz3Cs7IUpgrade naar KadastraleKaart Pro
vNgpmO0qaDdxE aJYxUpgrade naar KadastraleKaart Pro
3Z 75nnnFwePYw4HCgdoCUpgrade naar KadastraleKaart Pro
25/05/2018

Percelen
Gebruik de zoekbalk of klik op een perceel om informatie over het perceel te bekijken.