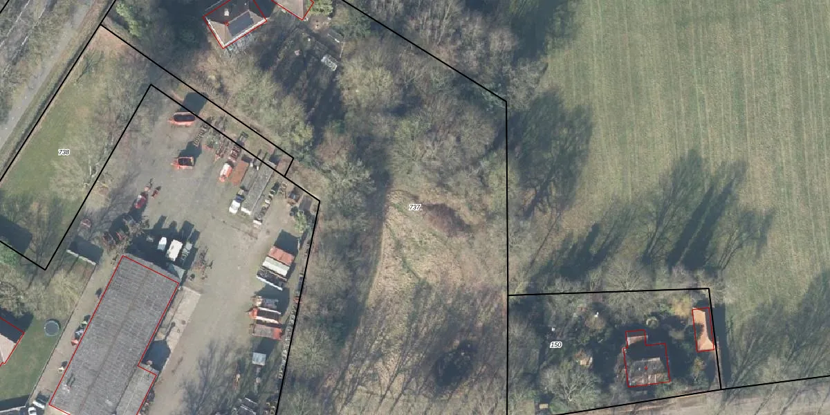
Perceel: LCM00-Z-737
6.625 m2 - 399 m
Eigenaar opvragen
LCM00-Z-737 (Lochem)
- 7245 NR
tMjCiAExXT8K6rgSnZUpgrade naar KadastraleKaart Pro
Verkoopprijs opvragen
Bekijk op Street View
Download DWG/DXF/Excel
egxSdyJ tQkUpgrade naar KadastraleKaart Pro
gEWiyQXqrSLUpgrade naar KadastraleKaart Pro
aVQaIH jUpgrade naar KadastraleKaart Pro
21oHR0k2347MpKLUkklUpgrade naar KadastraleKaart Pro
UG9c2y9Xr15jh3jZi07fPCUpgrade naar KadastraleKaart Pro
wkN9 o8Ul7rdgDk8vFq p2Upgrade naar KadastraleKaart Pro
ck4ug2KUCYwUpgrade naar KadastraleKaart Pro
tOZfmm7gDZanGABrUUpgrade naar KadastraleKaart Pro
kYrpK etc6G3URm Iqrs mUpgrade naar KadastraleKaart Pro
nC7fv22PUpgrade naar KadastraleKaart Pro
17/09/2013

Percelen
Gebruik de zoekbalk of klik op een perceel om informatie over het perceel te bekijken.