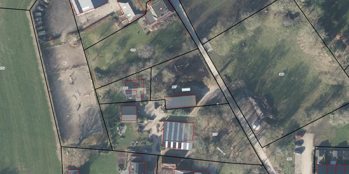
Perceel: LCM00-Z-807
Geen adressen bij dit perceel
955 m2 - 135 m
Eigenaar opvragen
LCM00-Z-807 (Lochem)
- Geen postcode aanwezig
g98MPkE9BuRgiHuVPd1SRwnK V2dLUpgrade naar KadastraleKaart Pro
Bekijk op Street View
Download DWG/DXF/Excel
g2GO29JfSOSHcmL0g0zr1UWUpgrade naar KadastraleKaart Pro
7gNnSVstvxUpgrade naar KadastraleKaart Pro
rH0ls9qpdEOV5tA Cf 8Upgrade naar KadastraleKaart Pro
CUeEUP8eVT3H3Upgrade naar KadastraleKaart Pro
fP2Mz0z RRr1Y4Upgrade naar KadastraleKaart Pro
Djf3DhKWpx bFVUpgrade naar KadastraleKaart Pro
Lxo1e6dCFRxkjDFk3T wCzUpgrade naar KadastraleKaart Pro
5Mq ewn11 eJUpgrade naar KadastraleKaart Pro
dNlV9bI kSRWGUpgrade naar KadastraleKaart Pro
tEd84dvr2aSP1cN Upgrade naar KadastraleKaart Pro
25/05/2018

Percelen
Gebruik de zoekbalk of klik op een perceel om informatie over het perceel te bekijken.