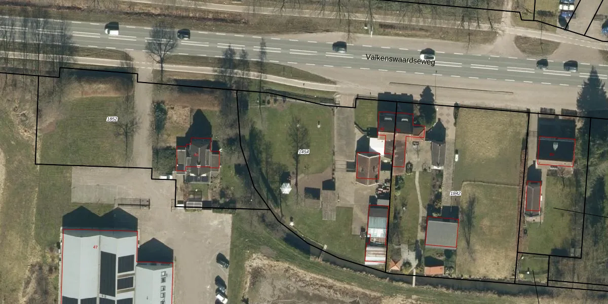
Perceel: LDE01-D-1454
KadastraleKaart.com kan meer dan je denktOntdek meer ›
Filter op bestemming 50+ datasets Eigendomsdata in één klik Percelen CRM
2.315 m2 - 198 m
Eigenaar opvragen
LDE01-D-1454 (Leende)
- 5595 XB
YaFxvVoO8ZjwNTSfWemNqLH NxUpgrade naar KadastraleKaart Pro
Bekijk op Street View
Download DWG/DXF/Excel
mweI cIR1ommyGNtEUpgrade naar KadastraleKaart Pro
PMiQGfw14oUWIIL3G7Upgrade naar KadastraleKaart Pro
2zyckZRL Upgrade naar KadastraleKaart Pro
j98RpE6GUpgrade naar KadastraleKaart Pro
T92T U KB1Xd ecvOeaUpgrade naar KadastraleKaart Pro
Tnc B fOUpgrade naar KadastraleKaart Pro
tCeW8rR8aAfstUkUpgrade naar KadastraleKaart Pro
CEa5BOgiYHz 3RjUpgrade naar KadastraleKaart Pro
S bjag2J 2oV jeBUpgrade naar KadastraleKaart Pro
YWh9tBxbyzxUpgrade naar KadastraleKaart Pro
26/04/2005

Percelen
Gebruik de zoekbalk of klik op een perceel om informatie over het perceel te bekijken.