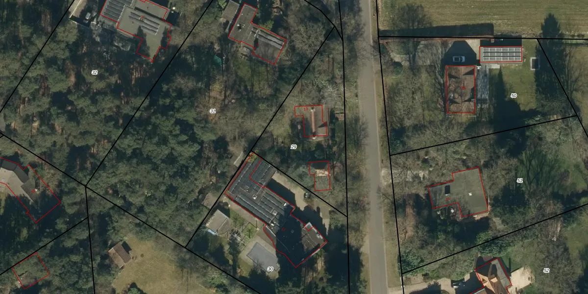
Perceel: LDE01-F-29
KadastraleKaart.com kan meer dan je denktOntdek meer ›
Filter op bestemming 50+ datasets Eigendomsdata in één klik Percelen CRM
1.101 m2 - 157 m
Eigenaar opvragen
LDE01-F-29 (Leende)
- 5595 BA
dG8PAc8 o9cMWnrez20PUpgrade naar KadastraleKaart Pro
Verkoopprijs opvragen
Bekijk op Street View
Download DWG/DXF/Excel
wT5wdskJRnUpgrade naar KadastraleKaart Pro
REigTyiQTbWUpgrade naar KadastraleKaart Pro
k2BJFERJUpgrade naar KadastraleKaart Pro
9xN 9 uXEbjR32NqxUpgrade naar KadastraleKaart Pro
J1mqned6Cz 4gUpgrade naar KadastraleKaart Pro
Pp1uie5zgVM Upgrade naar KadastraleKaart Pro
W0v9cFnmMD4bUpgrade naar KadastraleKaart Pro
Lc01KBabpNX40GUUpgrade naar KadastraleKaart Pro
huBzGr3swA OmbuD Ho5Upgrade naar KadastraleKaart Pro
WGFiT3WIvu63TZZPxubNH2Upgrade naar KadastraleKaart Pro
27/06/2005

Percelen
Gebruik de zoekbalk of klik op een perceel om informatie over het perceel te bekijken.