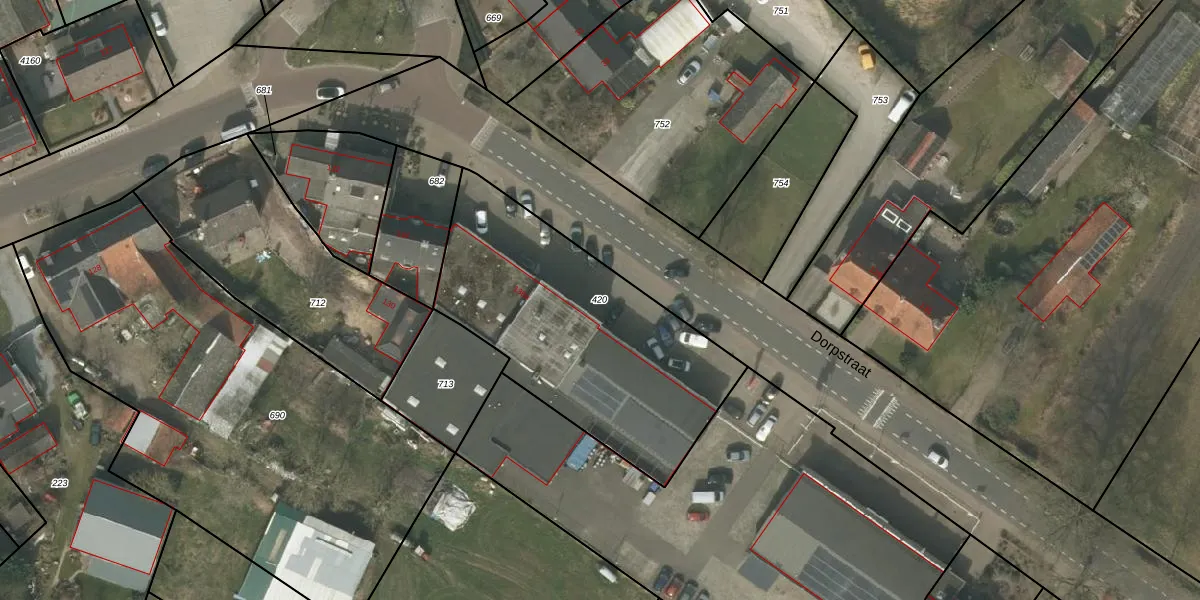
Perceel: LDE01-G-420
KadastraleKaart.com kan meer dan je denktOntdek meer ›
Filter op bestemming 50+ datasets Eigendomsdata in één klik Percelen CRM
1.250 m2 - 158 m
Eigenaar opvragen
LDE01-G-420 (Leende)
- 5595 CK
52UrH6Do0aeCJq6TUUc7Vu Upgrade naar KadastraleKaart Pro
Bekijk op Street View
Download DWG/DXF/Excel
3zOb4 c GHGSj GUpgrade naar KadastraleKaart Pro
NoXPBiV39 td7G Upgrade naar KadastraleKaart Pro
A LnWQEJ L Upgrade naar KadastraleKaart Pro
AlC4ksuMgd6iIRwiUpgrade naar KadastraleKaart Pro
L6ub9Jl0d6L p yO V9klZUpgrade naar KadastraleKaart Pro
KsY7pxeIiSK5wZP1Upgrade naar KadastraleKaart Pro
BN DMC9ywVj P5SUpgrade naar KadastraleKaart Pro
dDasZJ S7qBT7FEsUpgrade naar KadastraleKaart Pro
y xRYdyLIMUpgrade naar KadastraleKaart Pro
8X4ZFZxmj4o 5oYoUpgrade naar KadastraleKaart Pro
02/05/2005

Percelen
Gebruik de zoekbalk of klik op een perceel om informatie over het perceel te bekijken.