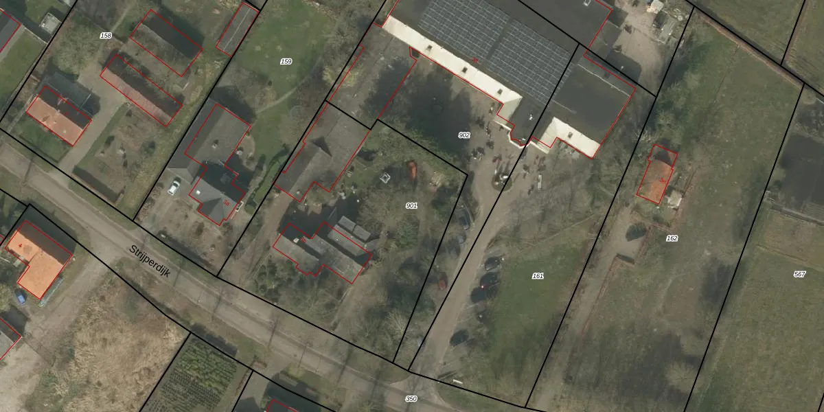
Perceel: LDE01-H-901
KadastraleKaart.com kan meer dan je denktOntdek meer ›
Filter op bestemming 50+ datasets Eigendomsdata in één klik Percelen CRM
2.165 m2 - 189 m
Eigenaar opvragen
LDE01-H-901 (Leende)
- 5595 XM
65buMh dZtfJdf8q pZ TEQHom0 z2Upgrade naar KadastraleKaart Pro
Bekijk op Street View
Download DWG/DXF/Excel
PxmPEI1BziUpgrade naar KadastraleKaart Pro
SMQeILj3PfUpgrade naar KadastraleKaart Pro
LlGplo1vDLuUpgrade naar KadastraleKaart Pro
jC en 9sR7Fik5xMedHgUpgrade naar KadastraleKaart Pro
tfDR5tXdFvOuFwSICN Upgrade naar KadastraleKaart Pro
XJ n8PzV5UW Upgrade naar KadastraleKaart Pro
np3VkwHCdM3Upgrade naar KadastraleKaart Pro
vaRkCyIZNAjCzMDq0jjvlvUpgrade naar KadastraleKaart Pro
FhZ0jGsG91AegefB8Upgrade naar KadastraleKaart Pro
tNN7iFJtFe1EnJhsBFUpgrade naar KadastraleKaart Pro
20/12/2017

Percelen
Gebruik de zoekbalk of klik op een perceel om informatie over het perceel te bekijken.