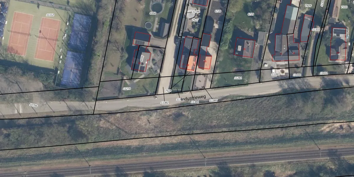
Perceel: LDM00-B-11383
KadastraleKaart.com kan meer dan je denktOntdek meer ›
Filter op bestemming 50+ datasets Eigendomsdata in één klik Percelen CRM
Geen adressen bij dit perceel
55 m2 - 32 m
Eigenaar opvragen
LDM00-B-11383 (Leerdam)
- Geen postcode aanwezig
C5Vqstx ruXCZ4ZcCxTcfUpgrade naar KadastraleKaart Pro
Bekijk op Street View
Download DWG/DXF/Excel
JDw NU1IUpgrade naar KadastraleKaart Pro
W o hKeEKHgUpgrade naar KadastraleKaart Pro
Z3qzD6Fuw7V9snxt RCaUpgrade naar KadastraleKaart Pro
wnmXnPpQiitslUpgrade naar KadastraleKaart Pro
aIzKdNeBQzbDUpgrade naar KadastraleKaart Pro
dUNv NRkpIhy6iKR Ek4Upgrade naar KadastraleKaart Pro
t rYX 7ILwLcYffltaT IzUUpgrade naar KadastraleKaart Pro
ieY8suJESvd 79QUpgrade naar KadastraleKaart Pro
3PgDLf YcStiWySpaUpgrade naar KadastraleKaart Pro
uLUN0HtIjUpaSUpgrade naar KadastraleKaart Pro
15/03/2013

Percelen
Gebruik de zoekbalk of klik op een perceel om informatie over het perceel te bekijken.