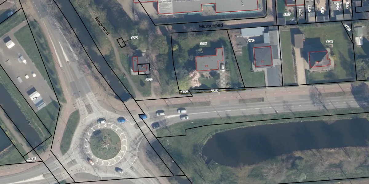
Perceel: LDM00-C-3927
KadastraleKaart.com kan meer dan je denktOntdek meer ›
Filter op bestemming 50+ datasets Eigendomsdata in één klik Percelen CRM
Geen adressen bij dit perceel
9 m2 - 15 m
Eigenaar opvragen
LDM00-C-3927 (Leerdam)
- Geen postcode aanwezig
3qiBMDq9F kka4bgJuPF Evd7vNPUpgrade naar KadastraleKaart Pro
Bekijk op Street View
Download DWG/DXF/Excel
9pCufvX Lv NEd7zsUpgrade naar KadastraleKaart Pro
AsbynxP5rgUpgrade naar KadastraleKaart Pro
TSWWqYGfvn Upgrade naar KadastraleKaart Pro
Kov1 ZeYHUbrpXLUpgrade naar KadastraleKaart Pro
Xw0NSeI8PWDkZRUpgrade naar KadastraleKaart Pro
0 7oB KRwUpgrade naar KadastraleKaart Pro
5y3OZVtj6gXFUpgrade naar KadastraleKaart Pro
vFH3J8dJhcsH2 PrenU9AUpgrade naar KadastraleKaart Pro
DS14TA50fogUpgrade naar KadastraleKaart Pro
l BDzxheZ TDOEI8Upgrade naar KadastraleKaart Pro
07/05/2018

Percelen
Gebruik de zoekbalk of klik op een perceel om informatie over het perceel te bekijken.