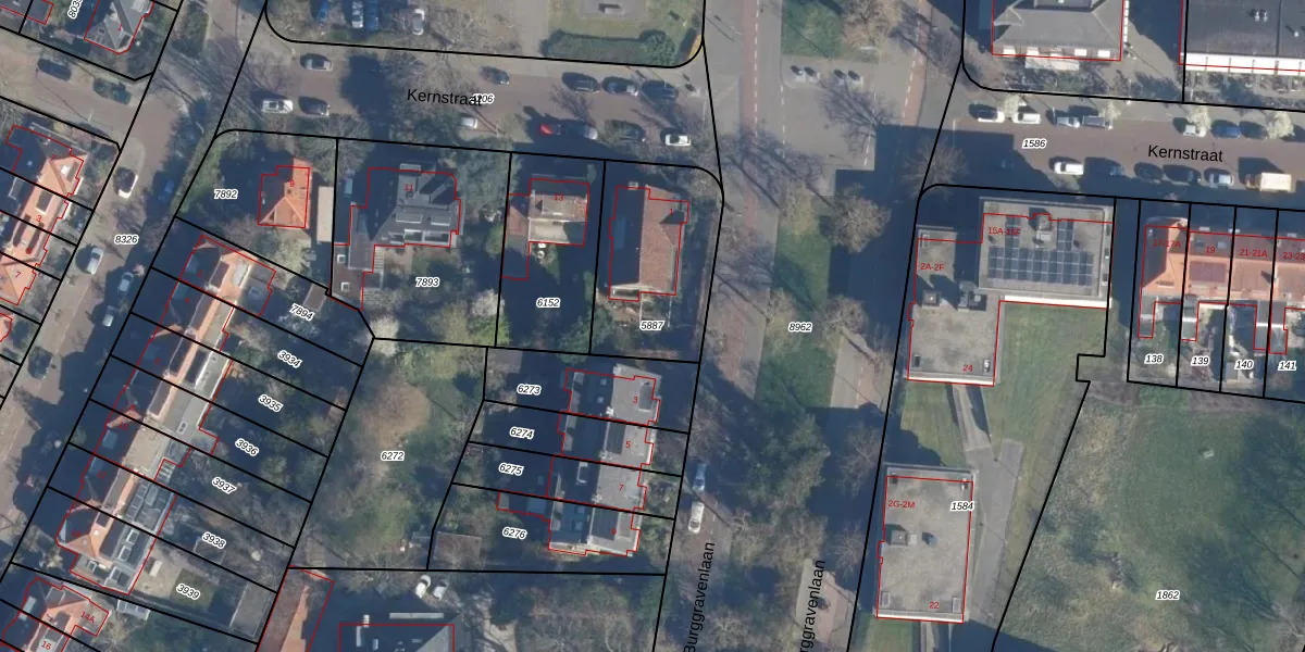
Perceel: LDN01-M-5887
KadastraleKaart.com kan meer dan je denktOntdek meer ›
Filter op bestemming 50+ datasets Eigendomsdata in één klik Percelen CRM
529 m2 - 93 m
Eigenaar opvragen
LDN01-M-5887 (Leiden)
- 2313 HM
CQRzSeMkk7LBIakgFk SeHUpgrade naar KadastraleKaart Pro
Verkoopprijs opvragen
Bekijk op Street View
Download DWG/DXF/Excel
1TVp Z2 4UEUpgrade naar KadastraleKaart Pro
bdhJOjZJ taQH4RWUpgrade naar KadastraleKaart Pro
B9OeJvwxy FmUpgrade naar KadastraleKaart Pro
zL h0Pb 4 U5E VjLmv6KbUpgrade naar KadastraleKaart Pro
2sfs0UBOlFG Vw sjUpgrade naar KadastraleKaart Pro
y0 I17YKtUpgrade naar KadastraleKaart Pro
CFp1LfWai FctKcLUpgrade naar KadastraleKaart Pro
rujRtQ4CrDpXDaRWUpgrade naar KadastraleKaart Pro
6JQSk1Z aLc3xH5Upgrade naar KadastraleKaart Pro
Ycrq CjGu vu4Upgrade naar KadastraleKaart Pro
27/08/2003

Percelen
Gebruik de zoekbalk of klik op een perceel om informatie over het perceel te bekijken.