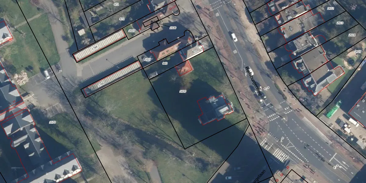
Perceel: LDN01-R-1620
1.660 m2 - 163 m
Eigenaar opvragen
LDN01-R-1620 (Leiden)
- 2333 AA
2zs51FI7MkV gvoAoh BthJCO6fdUpgrade naar KadastraleKaart Pro
Bekijk op Street View
Download DWG/DXF/Excel
C Fe6mtKFbBUpgrade naar KadastraleKaart Pro
u5nnSRQis a PMuXUpgrade naar KadastraleKaart Pro
wH9 BCf X7z IiUpgrade naar KadastraleKaart Pro
FiCi2saSUpgrade naar KadastraleKaart Pro
pC9t2 9wS NUpgrade naar KadastraleKaart Pro
m7pL1tkHBUpgrade naar KadastraleKaart Pro
lfsmGNlZeIhA WUpgrade naar KadastraleKaart Pro
1Z6tsMJJ3ixnKhUpgrade naar KadastraleKaart Pro
6fFFDbsiX YJUpgrade naar KadastraleKaart Pro
IN5GgvUfH3 rSQ9 GSFzUpgrade naar KadastraleKaart Pro
07/04/2009

Percelen
Gebruik de zoekbalk of klik op een perceel om informatie over het perceel te bekijken.