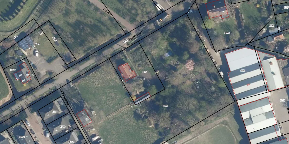
Perceel: LDN01-T-6045
870 m2 - 122 m
Eigenaar opvragen
LDN01-T-6045 (Leiden)
- 2314 AZ
CYw0hmhnxYtX6FD1HQZUpgrade naar KadastraleKaart Pro
Bekijk op Street View
Download DWG/DXF/Excel
y KvPt2VPUpgrade naar KadastraleKaart Pro
AuxB SFOUpgrade naar KadastraleKaart Pro
PQsXg Gmfm7FWau7Upgrade naar KadastraleKaart Pro
BF9AFaXmnKiGmUTp8Upgrade naar KadastraleKaart Pro
z4ib8QqjDTPTzdUpgrade naar KadastraleKaart Pro
Rh70v e9XGRV4t0Upgrade naar KadastraleKaart Pro
lAvO1N7qxjvi1RXeeYlUpgrade naar KadastraleKaart Pro
fBHg iAMsBf6 1t72dwUpgrade naar KadastraleKaart Pro
qa edHDVmoI86UcRqNGPTlUpgrade naar KadastraleKaart Pro
HqJ425XchUpgrade naar KadastraleKaart Pro
27/08/2003

Percelen
Gebruik de zoekbalk of klik op een perceel om informatie over het perceel te bekijken.