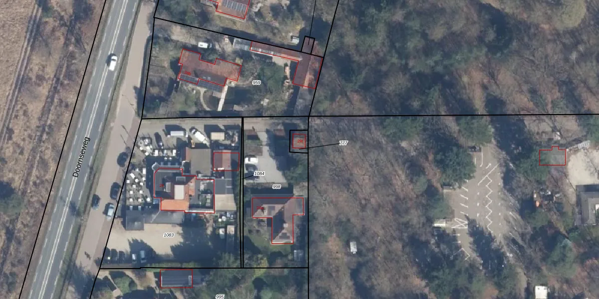
Perceel: LDN02-B-777
KadastraleKaart.com kan meer dan je denktOntdek meer ›
Filter op bestemming 50+ datasets Eigendomsdata in één klik Percelen CRM
42 m2 - 27 m
Eigenaar opvragen
LDN02-B-777 (Leusden)
- Geen postcode aanwezig
Hc04l699Gh fJGgzH EgjdLtfxUpgrade naar KadastraleKaart Pro
Bekijk op Street View
Download DWG/DXF/Excel
Mr tt0DnZQSrKDNcmqAAPYxUpgrade naar KadastraleKaart Pro
AGUTnMDpCZEEVZUpgrade naar KadastraleKaart Pro
28oOmVUgtKMB 1 haQORUpgrade naar KadastraleKaart Pro
A lBCTDpkB GAEV j UyaMUpgrade naar KadastraleKaart Pro
LclM5V hWs 6tlT kTUpgrade naar KadastraleKaart Pro
3cpLAX7 Fuih1pOe34L1Upgrade naar KadastraleKaart Pro
HPWBrCnVu8Bc3H QTUpgrade naar KadastraleKaart Pro
aDDyIOXtUpgrade naar KadastraleKaart Pro
R DHyLsTXGbUpgrade naar KadastraleKaart Pro
WujbYGvACsTmd69TOBUpgrade naar KadastraleKaart Pro
19/09/1997

Percelen
Gebruik de zoekbalk of klik op een perceel om informatie over het perceel te bekijken.