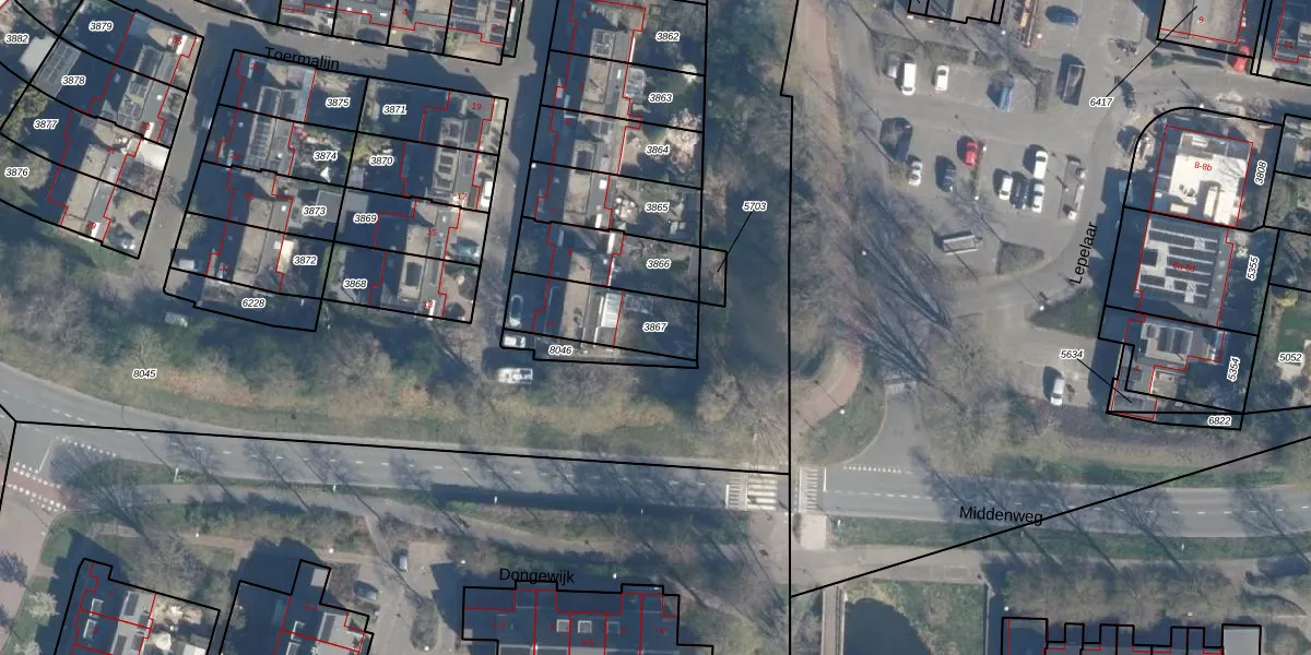
Perceel: LDN02-F-3867
258 m2 - 77 m
Eigenaar opvragen
LDN02-F-3867 (Leusden)
- 3831 DA
pftEV8so5BT vV3 PA 04Yu9Y5XCUpgrade naar KadastraleKaart Pro
Verkoopprijs opvragen
Bekijk op Street View
Download DWG/DXF/Excel
MFstfhHmspLpKDMpUpgrade naar KadastraleKaart Pro
yIkGgKMr jqcb4Y EaoWXqpUpgrade naar KadastraleKaart Pro
wR 41WYf76a3H4Upgrade naar KadastraleKaart Pro
HnCtjiZMt ZiEUpgrade naar KadastraleKaart Pro
HfAoibzYu7M4tORUpgrade naar KadastraleKaart Pro
y1HQ1zuuhWSvyn Upgrade naar KadastraleKaart Pro
bAEINrfzVUpgrade naar KadastraleKaart Pro
eD2MrYjVg 5DkOeowF9pUpgrade naar KadastraleKaart Pro
7mUDrYj3oBUpgrade naar KadastraleKaart Pro
Yyz7d7tuUpgrade naar KadastraleKaart Pro
10/12/2021

Percelen
Gebruik de zoekbalk of klik op een perceel om informatie over het perceel te bekijken.