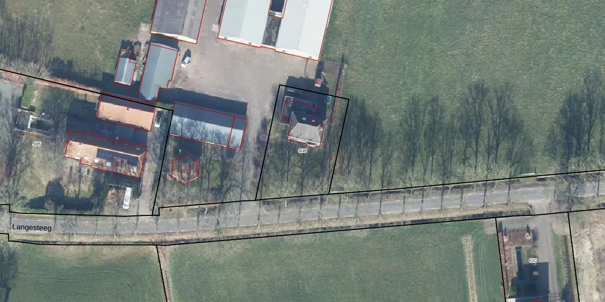
Perceel: LDN02-H-608

Adres bij perceel

Perceeloppervlakte & perceelomtrek

830 m2 - 119 m

Eigenaar van het perceel

Eigenaar opvragen

Kadastrale aanduiding

LDN02-H-608 (Leusden)

Postcode in perceel

    3831 RZ

Type eigenaar

jSVar29 UjbUi3qKGFa1HooUpgrade naar KadastraleKaart Pro

Woning verkocht in 2019

Verkoopprijs opvragen

Google Street View

Bekijk op Street View

Download

Download DWG/DXF/Excel

Gerelateerde percelen

R6 5tKWuiQ A4PUpgrade naar KadastraleKaart Pro

Bebouwd/onbebouwd/water/groen

lU9x NeG66XGUpgrade naar KadastraleKaart Pro
Administratieve eenheden
bQXhB6I RS6rNuqvUpgrade naar KadastraleKaart Pro

Appartementsrechten

mxyGin6 6fwpxgUpgrade naar KadastraleKaart Pro

Vergunningverlenende instanties

unUj1 MnUpgrade naar KadastraleKaart Pro

Bedekking (BGT)

5Z0kgScXsrLUpgrade naar KadastraleKaart Pro

Publiekrechtelijke beperkingen

9G6yFQdaLhUpgrade naar KadastraleKaart Pro

Grensnauwkeurigheid

p hIzoC2Vf2eGMe2Upgrade naar KadastraleKaart Pro

Coördinaten hoekpunten perceel

TiSiQV yuXlggfUpgrade naar KadastraleKaart Pro

Hoogteligging

2 b4Cz6SUpgrade naar KadastraleKaart Pro

Laatst gewijzigd

02/10/2006

Kadastrale kaart met maatvoering 59,95
Kadastrale kaart pakket 28,95

Percelen

Gebruik de zoekbalk of klik op een perceel om informatie over het perceel te bekijken.
Locatie
Meten
Lagen
Download