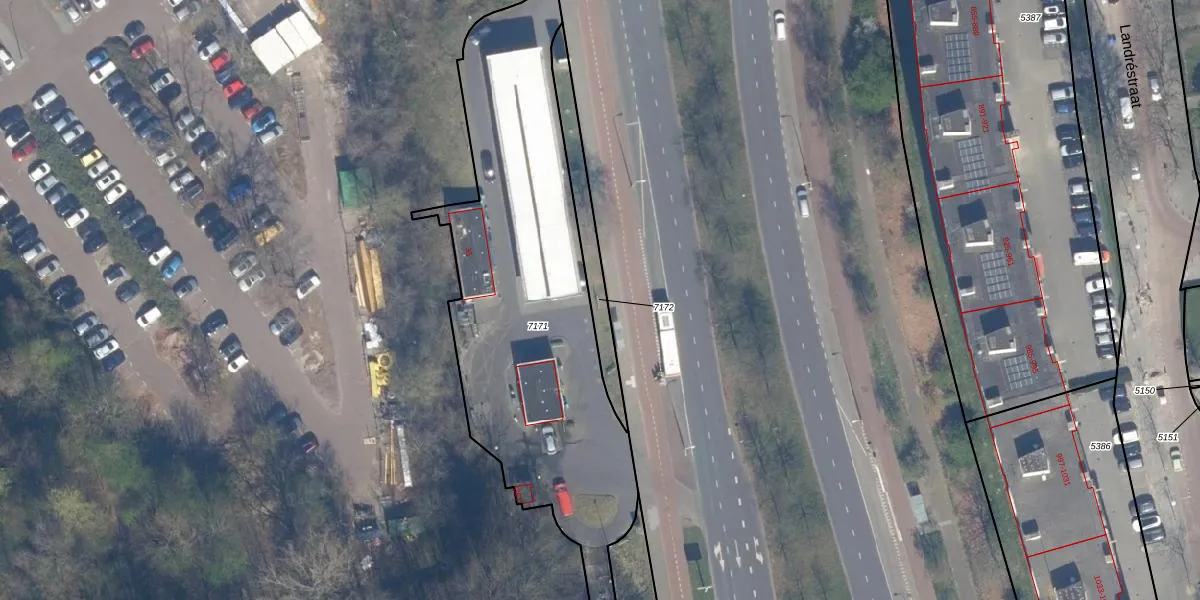
Perceel
Oppervlakte
174 m²
Aantal adressen
Geen adressen
Aanduiding
LDN03-H-7172 - Loosduinen
Verkocht in
Onbekend
Eigendom
Eigenaar
Eigenaar opvragen
Type eigenaar
xkqcCc 54 x5v4Y8NdbgWUpgrade naar KadastraleKaart Pro
Appartementsrechten
Identificatie
7g FQ6gS Z2F IWIvUpgrade naar KadastraleKaart Pro
Gerelateerde percelen
Aanduiding
Q3 LN7 FMNNSVy0fj59 NBdrEUpgrade naar KadastraleKaart Pro
Ligging
Meer functies

Percelen
Gebruik de zoekbalk of klik op een perceel om informatie over het perceel te bekijken.