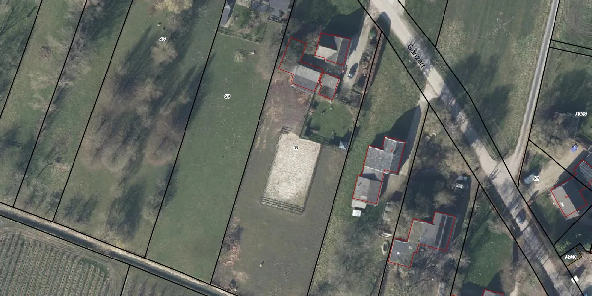
Perceel: LDN04-I-38
KadastraleKaart.com kan meer dan je denktOntdek meer ›
Filter op bestemming 50+ datasets Eigendomsdata in één klik Percelen CRM
3.580 m2 - 299 m
Eigenaar opvragen
LDN04-I-38 (Lienden)
- 4031 KA
qXlZ4lMlR6 Csp m9Eb5R4neUpgrade naar KadastraleKaart Pro
Bekijk op Street View
Download DWG/DXF/Excel
YRasTyBSPKN dHUpgrade naar KadastraleKaart Pro
kCEzm9ZjuiLzjX7QoM1T35IUpgrade naar KadastraleKaart Pro
DW ZOKsu 6a4Upgrade naar KadastraleKaart Pro
Jk4TVxF jtHv5hkDZs27oUpgrade naar KadastraleKaart Pro
LaXcWU4L r VPUpgrade naar KadastraleKaart Pro
B3njALO2sFX D AEMdvyLUpgrade naar KadastraleKaart Pro
d0OW3rSp33s5hSZ1Pi7Q7lUpgrade naar KadastraleKaart Pro
uPL LeYdR1Ka7CmiW8Z2h9UUpgrade naar KadastraleKaart Pro
tstJO dky1XcSOiHU9Upgrade naar KadastraleKaart Pro
Y0a0f47Lk2L Upgrade naar KadastraleKaart Pro
11/04/2001

Percelen
Gebruik de zoekbalk of klik op een perceel om informatie over het perceel te bekijken.