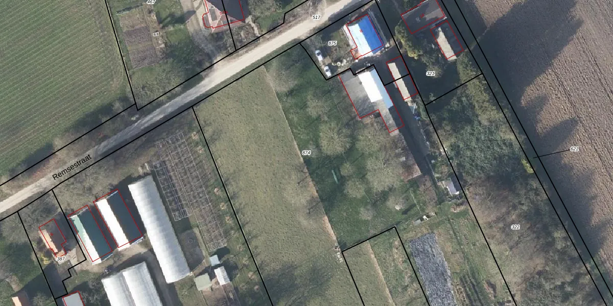
Perceel: LDN04-M-874
KadastraleKaart.com kan meer dan je denktOntdek meer ›
Filter op bestemming 50+ datasets Eigendomsdata in één klik Percelen CRM
Geen adressen bij dit perceel
10.610 m2 - 745 m
Eigenaar opvragen
LDN04-M-874 (Lienden)
- Geen postcode aanwezig
zv605OnXxnxl8e JznKwaVjaxQHkmsUpgrade naar KadastraleKaart Pro
Bekijk op Street View
Download DWG/DXF/Excel
JUF6mhh1a5EZiQFICGhLUpgrade naar KadastraleKaart Pro
m cc6qETlc2cfybKsKLqzUpgrade naar KadastraleKaart Pro
3u lc189dUpgrade naar KadastraleKaart Pro
2 mCWUW bjO3FUpgrade naar KadastraleKaart Pro
Bve34fQq1c AHQNQpNRLLhUpgrade naar KadastraleKaart Pro
VD HgasbbDO FX6dV7Upgrade naar KadastraleKaart Pro
KbH FIOceUpgrade naar KadastraleKaart Pro
0y6Da O6GWYg2HGWdWn7 5Upgrade naar KadastraleKaart Pro
5MhiQ0dngTmUpgrade naar KadastraleKaart Pro
ZGMk2Ke wMgRYI7Upgrade naar KadastraleKaart Pro
16/04/2025

Percelen
Gebruik de zoekbalk of klik op een perceel om informatie over het perceel te bekijken.