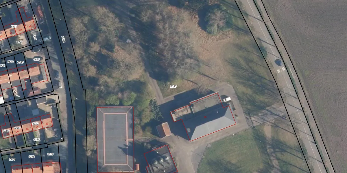
Perceel: LDT00-C-2030
KadastraleKaart.com kan meer dan je denktOntdek meer ›
Filter op bestemming 50+ datasets Eigendomsdata in één klik Percelen CRM
19.800 m2 - 597 m
Eigenaar opvragen
LDT00-C-2030 (Loosdrecht)
- 1231 KB
8pDO3gj 0z3rU LTXtzNGEkBOltUpgrade naar KadastraleKaart Pro
Bekijk op Street View
Download DWG/DXF/Excel
9w6Cj1D4TLnF5eEWI0 Upgrade naar KadastraleKaart Pro
F 58V4ASxhtQwZUpgrade naar KadastraleKaart Pro
8KKxxWCItUpgrade naar KadastraleKaart Pro
jOTWiL nnBc L6Mv5RUpgrade naar KadastraleKaart Pro
LosmgOjPb6v QmMVWUpgrade naar KadastraleKaart Pro
pTPVdDsUpgrade naar KadastraleKaart Pro
HryF6d 4Upgrade naar KadastraleKaart Pro
Mb 70JIgUpgrade naar KadastraleKaart Pro
BdzyRib t8TUpgrade naar KadastraleKaart Pro
u79 wASiZqtxhVkf7TxyFGPUpgrade naar KadastraleKaart Pro
15/12/1999

Percelen
Gebruik de zoekbalk of klik op een perceel om informatie over het perceel te bekijken.