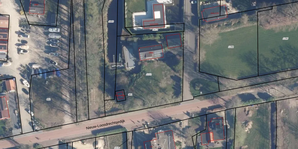
Perceel: LDT00-F-1112
KadastraleKaart.com kan meer dan je denktOntdek meer ›
Filter op bestemming 50+ datasets Eigendomsdata in één klik Percelen CRM
2.210 m2 - 231 m
Eigenaar opvragen
LDT00-F-1112 (Loosdrecht)
- 1231 LE
GI6k6 FRIYMCJ8wipXMDqYtgAUpgrade naar KadastraleKaart Pro
Verkoopprijs opvragen
Bekijk op Street View
Download DWG/DXF/Excel
WLHU 9ab2 EiUWyj Upgrade naar KadastraleKaart Pro
KBqEpxnQ2n9VnUpgrade naar KadastraleKaart Pro
mfOG93nUwUpgrade naar KadastraleKaart Pro
lWdzfv51xtUpgrade naar KadastraleKaart Pro
rJ7 NC MYpdeGuzMj5 OsahUpgrade naar KadastraleKaart Pro
4kzH9UoDv 86N8zoBOTgkuUpgrade naar KadastraleKaart Pro
J5NKoc9E byH pDTkUpgrade naar KadastraleKaart Pro
m7OD8Ded cNtBEg4Upgrade naar KadastraleKaart Pro
Ei7ZD WWQUpgrade naar KadastraleKaart Pro
dH3v3bTzkugeCgjL0PNnuUpgrade naar KadastraleKaart Pro
10/12/2020

Percelen
Gebruik de zoekbalk of klik op een perceel om informatie over het perceel te bekijken.