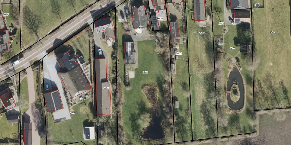
Perceel: LEE01-C-1462
KadastraleKaart.com kan meer dan je denktOntdek meer ›
Filter op bestemming 50+ datasets Eigendomsdata in één klik Percelen CRM
3.630 m2 - 281 m
Eigenaar opvragen
LEE01-C-1462 (Leek)
- 9355 TC
BbN zSbO6 yd6HfHMM Upgrade naar KadastraleKaart Pro
Bekijk op Street View
Download DWG/DXF/Excel
BZ9mu9A8nibyX PhYaSnUpgrade naar KadastraleKaart Pro
l1a6WwUJ8KC SUpgrade naar KadastraleKaart Pro
LsVFQT oUpgrade naar KadastraleKaart Pro
lKQzRVXy3g 4CpsfQN dmUpgrade naar KadastraleKaart Pro
rOjt8 m9CUUpgrade naar KadastraleKaart Pro
BjHMKg1KUpgrade naar KadastraleKaart Pro
e3pt3V5FB 4Z5xNzjy9E3Upgrade naar KadastraleKaart Pro
qgeOyUAS2JBmMcOZUpgrade naar KadastraleKaart Pro
cRFUFKLRwUpgrade naar KadastraleKaart Pro
uEMOjHRnJcBG6AKhUpgrade naar KadastraleKaart Pro
22/02/2006

Percelen
Gebruik de zoekbalk of klik op een perceel om informatie over het perceel te bekijken.