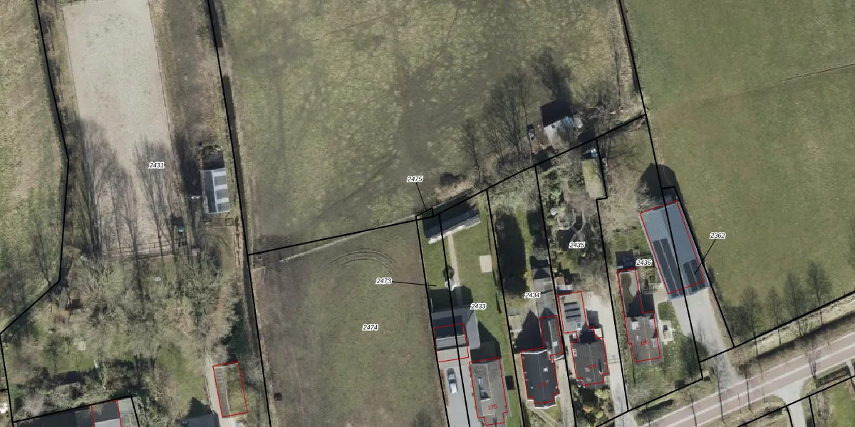
Perceel: LEE01-C-2475
KadastraleKaart.com kan meer dan je denktOntdek meer ›
Filter op bestemming 50+ datasets Eigendomsdata in één klik Percelen CRM
Geen adressen bij dit perceel
6 m2 - 11 m
Eigenaar opvragen
LEE01-C-2475 (Leek)
- Geen postcode aanwezig
NQC3PExK4 QSFBMxw dyoF21KUpgrade naar KadastraleKaart Pro
Bekijk op Street View
Download DWG/DXF/Excel
TINz r5nFgcULZXoYb6nUpgrade naar KadastraleKaart Pro
aL8Yp6D4m BYUpgrade naar KadastraleKaart Pro
2W McQDb4QK0UulUpgrade naar KadastraleKaart Pro
IRmfW6Q3jptIUpgrade naar KadastraleKaart Pro
iosZxIyJpmPyy1XeT ZGUpgrade naar KadastraleKaart Pro
1qix5hndnmr304Upgrade naar KadastraleKaart Pro
9NrtN9KSiyDeoUoCfXlG Upgrade naar KadastraleKaart Pro
jInrFRtpDFqSN fCTbUpgrade naar KadastraleKaart Pro
vXXBsUK4RwyUpgrade naar KadastraleKaart Pro
L1SUcWjG9 D1Z0nep Upgrade naar KadastraleKaart Pro
14/11/1997

Percelen
Gebruik de zoekbalk of klik op een perceel om informatie over het perceel te bekijken.